准备好找到您的汽车了吗?

Cars Bids History

查找 Copart 拍卖的每日更新

2013 HONDA CIVIC EXL 银色, 19XFB2F92DE223689

车辆详情:

文件类型 CERTIFICATE OF TITLE
车辆状态 运行并驾驶
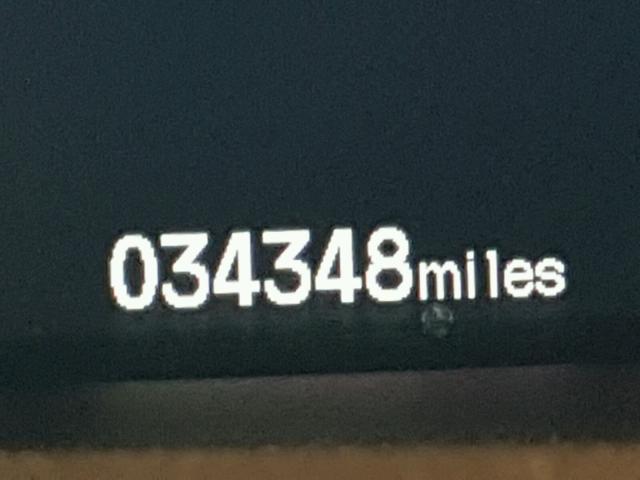
里程表: 34348.0(实际)
主要损坏 侧面损坏
次要损坏 无数据
估计零售价 14875.0
修复成本 0.0
VIN 19XFB2F92DE223689
卖家
备注

车辆类型 汽车
车身类型 四门轿车
颜色 银色
钥匙
驱动方式 前轮驱动
变速箱
燃油 汽油
发动机 1.8L 4
气缸数 4
N 日期 拍卖 参与者 拍卖类型 最新出价 出售状态 买家位置
1 2018-04-13 15:37:43.0 St. Louis / Lane - A 729 4050.0 已批准出售! VIRGINIA
2 2018-04-06 14:03:16.0 Dundalk / Lane - B 99 2800.0 已批准出售! VIRGINIA
3 2018-03-30 14:21:05.0 St. Louis / Lane - A 124 3850.0 已批准出售! NORTH CAROLINA
4 2018-03-28 01:29:49.0 McAllen / Lane - A 486 3500.0 已批准出售! FLORIDA
5 2018-03-23 14:17:33.0 Ashland / Lane - A 133 3400.0 已批准出售! VIRGINIA
6 2018-03-21 01:03:19.0 Taunton / Lane - A 180 4100.0 已批准出售! Starting Bid


相同型号及相同损坏的其他车辆

2012 HONDA CIVIC EXL

2012 HONDA CIVIC EXL,

已售出! 里程表: 103475.0(实际) +
损坏: 侧面损坏/前端损坏

查看拍卖历史

2014 HONDA CIVIC EXL

2014 HONDA CIVIC EXL,

已售出! 里程表: 131374.0(实际) +
损坏: 前端损坏/侧面损坏

查看拍卖历史

2014 HONDA CIVIC EXL

2014 HONDA CIVIC EXL,

已批准出售! 里程表: 142909.0(实际) +
损坏: 前端损坏/侧面损坏

查看拍卖历史

2009 HONDA CIVIC EXL

2009 HONDA CIVIC EXL,

已批准出售! 里程表: 265118.0(实际) +
损坏: 侧面损坏/无数据

查看拍卖历史

2015 HONDA CIVIC EXL

2015 HONDA CIVIC EXL,

已售出! 里程表: 187688.0(实际) +
损坏: 侧面损坏/后端损坏

查看拍卖历史

2014 HONDA CIVIC EXL

2014 HONDA CIVIC EXL,

已批准出售! 里程表: 198206.0(实际) +
损坏: 前端损坏/侧面损坏

查看拍卖历史

上周的随机拍卖批次