准备好找到您的汽车了吗?

Cars Bids History

查找 Copart 拍卖的每日更新

2017 HONDA CIVIC EXL 灰色, SHHFK7H70HU205246

车辆详情:

文件类型 SALVAGE CERTIFICATE OF TITLE
车辆状态 发动机启动程序
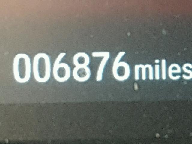
里程表: 6876.0(实际)
主要损坏 前端损坏
次要损坏 底盘
估计零售价 24671.0
修复成本 24671.0
VIN SHHFK7H70HU205246
卖家
备注

车辆类型 汽车
车身类型
颜色 灰色
钥匙
驱动方式 前轮驱动
变速箱
燃油 汽油
发动机 1.5L 4
气缸数 4
N 日期 拍卖 参与者 拍卖类型 最新出价 出售状态 买家位置
1 2018-08-22 17:06:25.0 OK - Oklahoma City / Lane - A 939 4600.0 已批准出售! TEXAS


相同型号及相同损坏的其他车辆

2009 HONDA CIVIC EXL

2009 HONDA CIVIC EXL,

已批准出售! 里程表: 216306.0(实际) +
损坏: 前端损坏/无数据

查看拍卖历史

2017 HONDA CIVIC EXL

2017 HONDA CIVIC EXL,

已售出! 里程表: 84447.0(实际) +
损坏: 前端损坏/侧面损坏

查看拍卖历史

2013 HONDA CIVIC EXL

2013 HONDA CIVIC EXL,

已批准出售! 里程表: 197272.0(实际) +
损坏: 前端损坏/无数据

查看拍卖历史

2009 HONDA CIVIC EXL

2009 HONDA CIVIC EXL,

已售出! 里程表: 131515.0(豁免) +
损坏: 前端损坏/无数据

查看拍卖历史

2009 HONDA CIVIC EXL

2009 HONDA CIVIC EXL,

已批准出售! 里程表: 77806.0(豁免) +
损坏: 前端损坏/后端损坏

查看拍卖历史

2017 HONDA CIVIC EXL

2017 HONDA CIVIC EXL,

已批准出售! 里程表: 124786.0(实际) +
损坏: 前端损坏/无数据

查看拍卖历史

上周的随机拍卖批次