准备好找到您的汽车了吗?

Cars Bids History

查找 Copart 拍卖的每日更新

2008 HYUNDAI ELANTRA GL 银色, KMHDU46DX8U284230

车辆详情:

文件类型 MV-907A SALVAGE CERTIFICATE
车辆状态 运行并驾驶
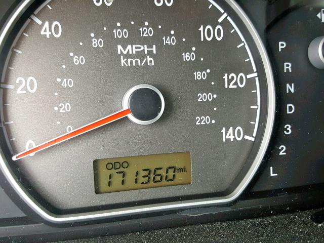
里程表: 171360.0(实际)
主要损坏 前端损坏
次要损坏 无数据
估计零售价 3039.0
修复成本 4104.55
VIN KMHDU46DX8U284230
卖家
备注

车辆类型 汽车
车身类型 四门轿车
颜色 银色
钥匙
驱动方式 前轮驱动
变速箱
燃油 汽油
发动机 2.0L 4
气缸数 4
N 日期 拍卖 参与者 拍卖类型 最新出价 出售状态 买家位置
1 2019-02-18 16:01:44.0 NY - Rochester / Lane - A 1427 825.0 已售出! NEW JERSEY
2 2018-11-15 16:40:51.0 Atlanta East / Lane - 400.0 已售出! Inman-SC
3 2018-11-01 15:23:44.0 Avenel New Jersey / Lane - A 450.0 已售出! Brownsville-TX
4 2018-10-25 17:24:12.0 SC - Spartanburg / Lane - A 500.0 已售出! Brownsville-TX


相同型号及相同损坏的其他车辆

2008 HYUNDAI ELANTRA GL

2008 HYUNDAI ELANTRA GL,

已批准出售! 里程表: 231593.0(实际) +
损坏: 底盘/前端损坏

查看拍卖历史

2007 HYUNDAI ELANTRA GL

2007 HYUNDAI ELANTRA GL,

已售出! 里程表: 308853.0(豁免) +
损坏: 故意破坏/前端损坏

查看拍卖历史

2008 HYUNDAI ELANTRA GL

2008 HYUNDAI ELANTRA GL,

已售出! 里程表: 187513.0(实际) +
损坏: 底盘/前端损坏

查看拍卖历史

2007 HYUNDAI ELANTRA GL

2007 HYUNDAI ELANTRA GL,

已售出! 里程表: 321894.0(豁免) +
损坏: 前端损坏/后端损坏

查看拍卖历史

上周的随机拍卖批次