准备好找到您的汽车了吗?

Cars Bids History

查找 Copart 拍卖的每日更新

2005 TOYOTA SCION TC 灰色, JTKDE177950031047

车辆详情:

文件类型 CERT OF TITLE-SALVAGE
车辆状态 增强型车辆
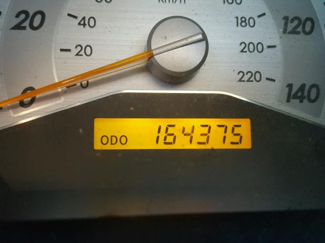
里程表: 164375.0(豁免)
主要损坏 整体损坏
次要损坏 无数据
估计零售价 4490.45
修复成本 17961.5
VIN JTKDE177950031047
卖家
备注 TITLE PENDING; VEH @ SUBLOT

车辆类型 汽车
车身类型 掀背车
颜色 灰色
钥匙
驱动方式 前轮驱动
变速箱
燃油 汽油
发动机 2.4L 4
气缸数 4
N 日期 拍卖 参与者 拍卖类型 最新出价 出售状态 买家位置
1 2018-02-26 15:41:28.0 Greensboro / Lane - A 232 300.0 已售出! SOUTH CAROLINA


相同型号及相同损坏的其他车辆

2015 TOYOTA SCION TC

2015 TOYOTA SCION TC,

已售出! 里程表: 0.0(不准确) +
损坏: 整体损坏/无数据

查看拍卖历史

2015 TOYOTA SCION TC

2015 TOYOTA SCION TC,

已售出! 里程表: 181995.0(实际) +
损坏: 整体损坏/无数据

查看拍卖历史

2015 TOYOTA SCION TC

2015 TOYOTA SCION TC,

已售出! 里程表: 0.0(不准确) +
损坏: 整体损坏/无数据

查看拍卖历史

2014 TOYOTA SCION TC

2014 TOYOTA SCION TC,

已批准出售! 里程表: 0.0(不准确) +
损坏: 整体损坏/无数据

查看拍卖历史

2015 TOYOTA SCION TC

2015 TOYOTA SCION TC,

已售出! 里程表: 0.0(不准确) +
损坏: 前端损坏/整体损坏

查看拍卖历史

2007 TOYOTA SCION TC

2007 TOYOTA SCION TC,

已批准出售! 里程表: 140017.0(实际) +
损坏: 整体损坏/无数据

查看拍卖历史

上周的随机拍卖批次