准备好找到您的汽车了吗?

Cars Bids History

查找 Copart 拍卖的每日更新

2008 TOYOTA SCION TC 银色, JTKDE167X80268958

车辆详情:

文件类型 CERTIFICATE OF SALVAGE
车辆状态 增强型车辆
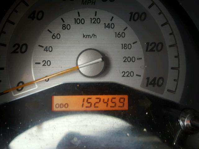
里程表: 152459.0(实际)
主要损坏 前端损坏
次要损坏 无数据
估计零售价 4629.0
修复成本 0.0
VIN JTKDE167X80268958
卖家
备注

车辆类型 汽车
车身类型 掀背车
颜色 银色
钥匙
驱动方式 前轮驱动
变速箱
燃油 汽油
发动机 2.4L 4
气缸数 4
N 日期 拍卖 参与者 拍卖类型 最新出价 出售状态 买家位置
1 2018-02-21 02:28:19.0 Fremont / Lane - A 439 425.0 已批准出售! MICHIGAN
2 2018-02-16 15:47:28.0 Tampa North / Lane - A 794 400.0 已批准出售! PENNSYLVANIA
3 2018-02-14 02:44:51.0 Grand Rapids / Lane - A 468 475.0 已批准出售! GUATEMALA
4 2018-02-14 02:44:51.0 Grand Rapids / Lane - A 471 475.0 已批准出售! GUATEMALA

车辆详情:

文件类型 CERTIFICATE OF SALVAGE
车辆状态 增强型车辆
里程表: 152459.0(实际)
主要损坏 前端损坏
次要损坏 侧面损坏
估计零售价 4629.0
修复成本 5218.38
VIN JTKDE167X80268958
卖家 State Farm Insurance
备注

车辆类型 汽车
车身类型 掀背车
颜色 银色
钥匙
驱动方式 前轮驱动
变速箱
燃油 汽油
发动机 2.4L 4
气缸数 4
N 日期 拍卖 参与者 拍卖类型 最新出价 出售状态 买家位置
1 2018-01-05 16:35:31.0 Memphis / Lane - A 622 375.0 已批准出售! PENNSYLVANIA


相同型号及相同损坏的其他车辆

2014 TOYOTA SCION TC

2014 TOYOTA SCION TC,

已批准出售! 里程表: 227688.0(不准确) +
损坏: 前端损坏/后端损坏

查看拍卖历史

2015 TOYOTA SCION TC

2015 TOYOTA SCION TC,

已售出! 里程表: 0.0(不准确) +
损坏: 前端损坏/侧面损坏

查看拍卖历史

2012 TOYOTA SCION TC

2012 TOYOTA SCION TC,

已售出! 里程表: 243458.0(实际) +
损坏: 前端损坏/无数据

查看拍卖历史

2015 TOYOTA SCION TC

2015 TOYOTA SCION TC,

已售出! 里程表: 163631.0(实际) +
损坏: 前端损坏/机械损坏

查看拍卖历史

2007 TOYOTA SCION TC

2007 TOYOTA SCION TC,

已售出! 里程表: 256429.0(豁免) +
损坏: 后端损坏/前端损坏

查看拍卖历史

2013 TOYOTA SCION TC

2013 TOYOTA SCION TC,

已售出! 里程表: 171688.0(实际) +
损坏: 前端损坏/轻微凹痕/划痕

查看拍卖历史

上周的随机拍卖批次