准备好找到您的汽车了吗?

Cars Bids History

查找 Copart 拍卖的每日更新

2010 TOYOTA SCION TC 蓝色, JTKDE3B73A0314797

车辆详情:

文件类型 CERT OF TITLE-SALVAGE FLOOD
车辆状态 增强型车辆
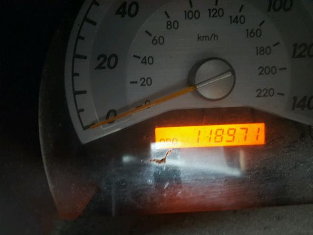
里程表: 118971.0(实际)
主要损坏 水/洪水
次要损坏 无数据
估计零售价 5100.0
修复成本 4184.89
VIN JTKDE3B73A0314797
卖家
备注

车辆类型 汽车
车身类型 掀背车
颜色 蓝色
钥匙
驱动方式 前轮驱动
变速箱
燃油 汽油
发动机 2.4L 4
气缸数 4
N 日期 拍卖 参与者 拍卖类型 最新出价 出售状态 买家位置
1 2018-04-20 14:59:47.0 Fort Myers / Lane - A 668 625.0 已售出! OHIO


相同型号及相同损坏的其他车辆

2015 TOYOTA SCION TC

2015 TOYOTA SCION TC,

已批准出售! 里程表: 173575.0(不准确) +
损坏: 水/洪水/无数据

查看拍卖历史

2005 TOYOTA SCION TC

2005 TOYOTA SCION TC,

已售出! 里程表: 170928.0(豁免) +
损坏: 水/洪水/无数据

查看拍卖历史

2016 TOYOTA SCION TC

2016 TOYOTA SCION TC,

已售出! 里程表: 85235.0(实际) +
损坏: 水/洪水/无数据

查看拍卖历史

2014 TOYOTA SCION TC

2014 TOYOTA SCION TC,

已售出! 里程表: 67556.0(实际) +
损坏: 水/洪水/无数据

查看拍卖历史

上周的随机拍卖批次