准备好找到您的汽车了吗?

Cars Bids History

查找 Copart 拍卖的每日更新

2010 TOYOTA SCION TC 黑色, JTKDE3B78A0306856

车辆详情:

文件类型 SALVAGE CERTIFICATE
车辆状态 运行并驾驶
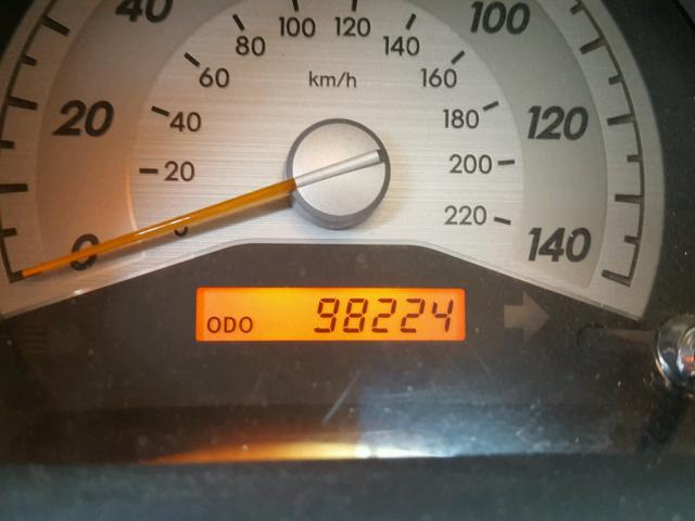
里程表: 98224.0(实际)
主要损坏 后端损坏
次要损坏 前端损坏
估计零售价 7387.73
修复成本 9272.26
VIN JTKDE3B78A0306856
卖家 Farmers Insurance
备注

车辆类型 汽车
车身类型 掀背车
颜色 黑色
钥匙
驱动方式 前轮驱动
变速箱
燃油 汽油
发动机 2.4L 4
气缸数 4
N 日期 拍卖 参与者 拍卖类型 最新出价 出售状态 买家位置
1 2018-08-15 19:42:50.0 CA - Sun Valley / Lane - C 1301 2050.0 已售出! IDAHO
2 2018-08-08 19:52:10.0 MO - St. Louis / Lane - E 3956 1500.0 已批准出售! CALIFORNIA


相同型号及相同损坏的其他车辆

2011 TOYOTA SCION TC

2011 TOYOTA SCION TC,

已批准出售! 里程表: 164141.0(实际) +
损坏: 后端损坏/前端损坏

查看拍卖历史

2005 TOYOTA SCION TC

2005 TOYOTA SCION TC,

已售出! 里程表: 230373.0(实际) +
损坏: 后端损坏/无数据

查看拍卖历史

2010 TOYOTA SCION TC

2010 TOYOTA SCION TC,

已售出! 里程表: 177833.0(实际) +
损坏: 前端损坏/后端损坏

查看拍卖历史

2016 TOYOTA SCION TC

2016 TOYOTA SCION TC,

已售出! 里程表: 50665.0(实际) +
损坏: 前端损坏/后端损坏

查看拍卖历史

2007 TOYOTA SCION TC

2007 TOYOTA SCION TC,

已售出! 里程表: 169068.0(豁免) +
损坏: 后端损坏/侧面损坏

查看拍卖历史

上周的随机拍卖批次