准备好找到您的汽车了吗?

Cars Bids History

查找 Copart 拍卖的每日更新

2003 VOLKSWAGEN PASSAT GLX 蓝色, WVWRH63B53P046810

车辆详情:

文件类型 MV-907A SALVAGE CERTIFICATE
车辆状态 增强型车辆
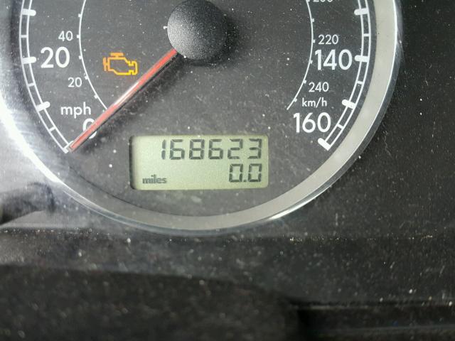
里程表: 168623.0(豁免)
主要损坏 前端损坏
次要损坏 无数据
估计零售价 2761.0
修复成本 0.0
VIN WVWRH63B53P046810
卖家
备注

车辆类型 汽车
车身类型 四门轿车
颜色 蓝色
钥匙
驱动方式 前轮驱动
变速箱
燃油 汽油
发动机 2.8L 6
气缸数 6
N 日期 拍卖 参与者 拍卖类型 最新出价 出售状态 买家位置
1 2018-04-23 16:02:11.0 Sioux Falls / Lane - A 1253 250.0 已售出! CONNECTICUT


相同型号及相同损坏的其他车辆

2000 VOLKSWAGEN PASSAT GLX

2000 VOLKSWAGEN PASSAT GLX,

已批准出售! 里程表: 121435.0(豁免) +
损坏: 前端损坏/侧面损坏

查看拍卖历史

2000 VOLKSWAGEN PASSAT GLX

2000 VOLKSWAGEN PASSAT GLX,

已批准出售! 里程表: 121435.0(豁免) +
损坏: 前端损坏/侧面损坏

查看拍卖历史

2000 VOLKSWAGEN PASSAT GLX

2000 VOLKSWAGEN PASSAT GLX,

已批准出售! 里程表: 121435.0(豁免) +
损坏: 前端损坏/侧面损坏

查看拍卖历史

2000 VOLKSWAGEN PASSAT GLX

2000 VOLKSWAGEN PASSAT GLX,

已批准出售! 里程表: 121435.0(豁免) +
损坏: 前端损坏/侧面损坏

查看拍卖历史

2002 VOLKSWAGEN PASSAT GLX

2002 VOLKSWAGEN PASSAT GLX,

已批准出售! 里程表: 110953.0(豁免) +
损坏: 前端损坏/无数据

查看拍卖历史

2000 VOLKSWAGEN PASSAT GLX

2000 VOLKSWAGEN PASSAT GLX,

已售出! 里程表: 157919.0(豁免) +
损坏: 前端损坏/无数据

查看拍卖历史

上周的随机拍卖批次