2015 HONDA CIVIC EX
تم البيع! عداد المسافات: 126115.0(فعلي) +
الأضرار: ماء/فيضان/خدوش/انبعاجات طفيفة
هل أنت مستعد للعثور على سيارتك؟
احصل على تحديثات يومية من مزادات Copart
1. Lot: 22545138
| نوع المستند | SALVAGE TITLE-FLOOD DAMAGE |
| حالة السيارة | يعمل ويقود |
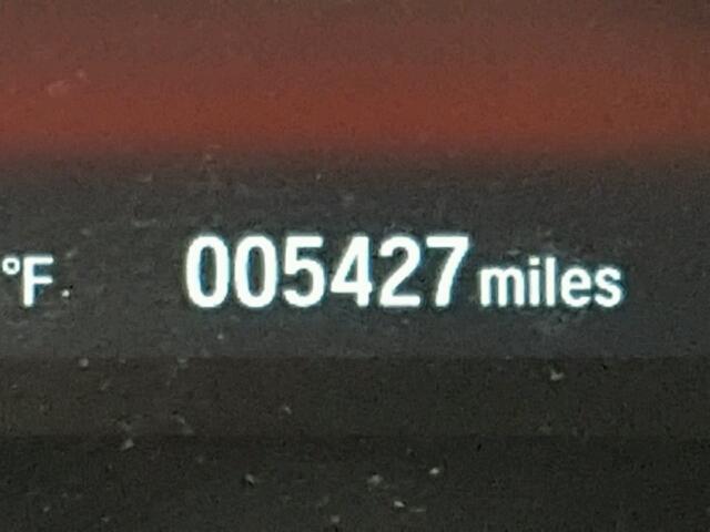
| عداد المسافات: | 5427.0(غير دقيق) |
| الأضرار الأساسية | ماء/فيضان |
| الأضرار الثانوية | بيانات غير متوفرة |
| القيمة السوقية المقدرة | 27732.0 |
| تكلفة الإصلاح | 0.0 |
| VIN | 19XFC1F83HE010528 |
| البائع | |
| ملاحظات | |
|
|
|
| نوع المركبة | سيارة |
| شكل الجسم | سيدان 4 باب |
| اللون | رمادي |
| المفتاح | نعم |
| نظام الدفع | الدفع الأمامي |
| ناقل الحركة | |
| الوقود | غاز |
| المحرك | 1.5L 4 |
| الأسطوانات | 4 |
| N | التاريخ | المزاد | المشاركون | نوع المزاد | آخر عرض | حالة البيع | موقع المشتري |
|---|---|---|---|---|---|---|---|
| 1 | 2018-01-15 20:42:26.0 | TX - Ft. Worth / Lane - A | 6713 | 9100.0 | تم البيع بموافقة! | CALIFORNIA |
2. Lot: 40304167
| نوع المستند | SALVAGE TITLE-FLOOD DAMAGE |
| حالة السيارة | المركبات المحسنة |
| عداد المسافات: | 26.0(غير دقيق) |
| الأضرار الأساسية | ماء/فيضان |
| الأضرار الثانوية | تلوث بيولوجي/كيميائي |
| القيمة السوقية المقدرة | 24797.0 |
| تكلفة الإصلاح | 0.0 |
| VIN | 19XFC1F83HE010528 |
| البائع | |
| ملاحظات | 11-SUBLOT-TEXASWORLDSPEEDWAY |
|
|
|
| نوع المركبة | سيارة |
| شكل الجسم | سيدان 4 باب |
| اللون | رمادي |
| المفتاح | نعم |
| نظام الدفع | الدفع الأمامي |
| ناقل الحركة | |
| الوقود | غاز |
| المحرك | 1.5L 4 |
| الأسطوانات | 4 |
| N | التاريخ | المزاد | المشاركون | نوع المزاد | آخر عرض | حالة البيع | موقع المشتري |
|---|---|---|---|---|---|---|---|
| 1 | 2018-01-05 21:18:44.0 | Indianapolis / Lane - B | 2523 | 6200.0 | تم البيع! | TEXAS |
تم البيع! عداد المسافات: 126115.0(فعلي) +
الأضرار: ماء/فيضان/خدوش/انبعاجات طفيفة
تم البيع! عداد المسافات: 0.0(غير دقيق) +
الأضرار: ماء/فيضان/بيانات غير متوفرة
تم البيع! عداد المسافات: 0.0(معفى) +
الأضرار: ماء/فيضان/بيانات غير متوفرة
تم البيع! عداد المسافات: 70832.0(فعلي) +
الأضرار: ماء/فيضان/ضرر في المقدمة
تم البيع! عداد المسافات: 208407.0(معفى) +
الأضرار: ماء/فيضان/بيانات غير متوفرة