Avtomobilinizi tapmağa hazırsınız?

Cars Bids History

Copart hərraclarından gündəlik yeniləmələri tapın

2012 HONDA CIVIC EXL Boz, 2HGFB2F9XCH598671

Avtomobil Detalları:

Sənəd Növü CERT OF TITLE-SALVAGE
Avtomobil Statusu İşləyir və sürür
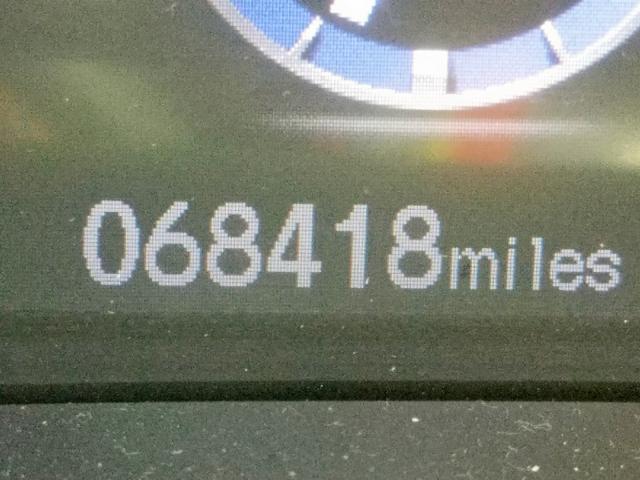
Odometr: 68418.0(Həqiqi)
Əsas Zədələnmə Arxa hissə zədələnib
İkincil Zədələnmə Ön tərəf zədələnib
Qiymətləndirilmiş Pərakəndə Dəyər 10543.0
Bərpa Xərci 8873.05
VIN 2HGFB2F9XCH598671
Satıcı State Farm Insurance
Qeydlər

Nəqliyyat Vasitəsinin Növü Avtomobil
Kuzov Tipi Sedan 4D
Rəng Boz
Açar Bəli
Sürüş Sistemi Ön ötürücü
Sürətlər Qutusu
Yanacaq Qaz
Mühərrik 1.8L 4
Silindrlər 4
N Tarix Hərrac İştirakçılar Hərrac Növü Son Təklif Satış Statusu Alıcının Yeri
1 2019-10-01 15:12:09.0 CT - Hartford / Lane - B 3051 2800.0 Satıldı! CONNECTICUT

Avtomobil Detalları:

Sənəd Növü CERT OF TITLE-REBUILT
Avtomobil Statusu Təkmilləşdirilmiş nəqliyyat vasitələri
Odometr: 172363.0(Həqiqi)
Əsas Zədələnmə Mexaniki zədələnmə
İkincil Zədələnmə Xırda əzilmələr/Cızıqlar
Qiymətləndirilmiş Pərakəndə Dəyər 9350.0
Bərpa Xərci 0.0
VIN 2HGFB2F9XCH598671
Satıcı
Qeydlər

Nəqliyyat Vasitəsinin Növü Avtomobil
Kuzov Tipi
Rəng Boz
Açar Bəli
Sürüş Sistemi Ön ötürücü
Sürətlər Qutusu Avtomatik
Yanacaq Qaz
Mühərrik 1.8L 4
Silindrlər 4
N Tarix Hərrac İştirakçılar Hərrac Növü Son Təklif Satış Statusu Alıcının Yeri
1 2024-11-15 15:00:00.0 CT - Hartford / Lane - C 1300.0 Təsdiq ilə satıldı! CTUSA


Eyni model və eyni zədə ilə başqa avtomobillər

2013 HONDA CIVIC EXL

2013 HONDA CIVIC EXL,

Satıldı! Odometr: 184029.0(Həqiqi) +
Zərər: Arxa hissə zədələnib/Xırda əzilmələr/Cızıqlar

Hərrac tarixçəsinə baxın

2012 HONDA CIVIC EXL

2012 HONDA CIVIC EXL,

Satıldı! Odometr: 121094.0(Həqiqi) +
Zərər: Arxa hissə zədələnib/Məlumat yoxdur

Hərrac tarixçəsinə baxın

2016 HONDA CIVIC EXL

2016 HONDA CIVIC EXL,

Satıldı! Odometr: 87967.0(Həqiqi) +
Zərər: Arxa hissə zədələnib/Məlumat yoxdur

Hərrac tarixçəsinə baxın

2020 HONDA CIVIC EXL

2020 HONDA CIVIC EXL,

Satıldı! Odometr: 83523.0(Həqiqi) +
Zərər: Arxa hissə zədələnib/Məlumat yoxdur

Hərrac tarixçəsinə baxın

2010 HONDA CIVIC EXL

2010 HONDA CIVIC EXL,

Satıldı! Odometr: 219124.0(Azad) +
Zərər: Ön tərəf zədələnib/Arxa hissə zədələnib

Hərrac tarixçəsinə baxın

2014 HONDA CIVIC EXL

2014 HONDA CIVIC EXL,

Satıldı! Odometr: 123135.0(Həqiqi) +
Zərər: Arxa hissə zədələnib/Xırda əzilmələr/Cızıqlar

Hərrac tarixçəsinə baxın

Keçən həftənin təsadüfi hərrac lotları