Avtomobilinizi tapmağa hazırsınız?

Cars Bids History

Copart hərraclarından gündəlik yeniləmələri tapın

2017 CHEVROLET MALIBU LS Grafit, 1G1ZB5ST0HF198179

Avtomobil Detalları:

Sənəd Növü SALVAGE VEHICLE TITLE
Avtomobil Statusu Mühərrik işə salma proqramı
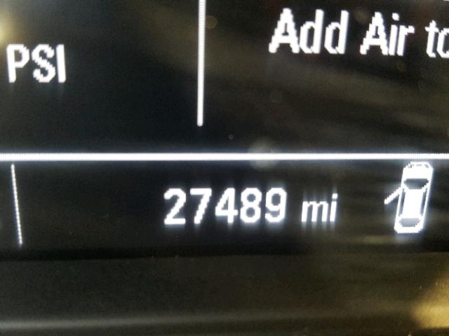
Odometr: 27489.0(Həqiqi)
Əsas Zədələnmə Ön tərəf zədələnib
İkincil Zədələnmə Arxa hissə zədələnib
Qiymətləndirilmiş Pərakəndə Dəyər 16889.0
Bərpa Xərci 10537.86
VIN 1G1ZB5ST0HF198179
Satıcı State Farm Insurance
Qeydlər

Nəqliyyat Vasitəsinin Növü Avtomobil
Kuzov Tipi Sedan 4D
Rəng Grafit
Açar Bəli
Sürüş Sistemi Ön ötürücü
Sürətlər Qutusu
Yanacaq Qaz
Mühərrik 1.5L 4
Silindrlər 4
N Tarix Hərrac İştirakçılar Hərrac Növü Son Təklif Satış Statusu Alıcının Yeri
1 2018-11-20 19:18:58.0 Long Island / Lane - G 2123 3850.0 Təsdiq ilə satıldı! FLORIDA


Eyni model və eyni zədə ilə başqa avtomobillər

2011 CHEVROLET MALIBU LS

2011 CHEVROLET MALIBU LS,

Təsdiq ilə satıldı! Odometr: 101465.0(Həqiqi) +
Zərər: Yan tərəf zədələnmişdir/Ön tərəf zədələnib

Hərrac tarixçəsinə baxın

2007 CHEVROLET MALIBU LS

2007 CHEVROLET MALIBU LS,

Təsdiq ilə satıldı! Odometr: 260487.0(Azad) +
Zərər: Arxa hissə zədələnib/Ön tərəf zədələnib

Hərrac tarixçəsinə baxın

2020 CHEVROLET MALIBU LS

2020 CHEVROLET MALIBU LS,

Təsdiq ilə satıldı! Odometr: 106067.0(Həqiqi) +
Zərər: Ön tərəf zədələnib/Məlumat yoxdur

Hərrac tarixçəsinə baxın

2024 CHEVROLET MALIBU LS

2024 CHEVROLET MALIBU LS,

Təsdiq ilə satıldı! Odometr: 33959.0(Həqiqi) +
Zərər: Ön tərəf zədələnib/Yan tərəf zədələnmişdir

Hərrac tarixçəsinə baxın

2012 CHEVROLET MALIBU LS

2012 CHEVROLET MALIBU LS,

Satıldı! Odometr: 128940.0(Həqiqi) +
Zərər: Ön tərəf zədələnib/Dolu zədəsi

Hərrac tarixçəsinə baxın

2023 CHEVROLET MALIBU LS

2023 CHEVROLET MALIBU LS,

Təsdiq ilə satıldı! Odometr: 121687.0(Həqiqi) +
Zərər: Ön tərəf zədələnib/Məlumat yoxdur

Hərrac tarixçəsinə baxın

Keçən həftənin təsadüfi hərrac lotları