¿Listo para encontrar tu coche?

Cars Bids History

Encuentra actualizaciones diarias de las subastas de Copart

2014 INFINITI Q50 BASE Blanco, JN1BV7AR7EM701847

Detalles del vehículo:

Tipo de documento CERT OF TITLE-SALVAGE
Estado del vehículo Vehículos mejorados
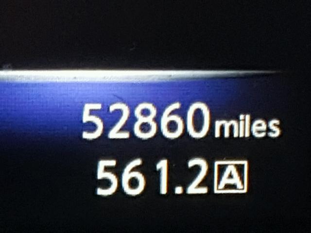
Odómetro: 52860.0(Real)
Daño principal Daño en la parte delantera
Daño secundario Datos no disponibles
Valor estimado de venta al por menor 25883.0
Costo de recuperación 18110.26
VIN JN1BV7AR7EM701847
Vendedor State Farm Insurance
Notas WITH CORRECTION LETTER

Tipo de vehículo Automóvil
Estilo de carrocería Sedán 4D
Color Blanco
Llave
Tracción Tracción en todas las ruedas
Transmisión
Combustible Gasolina
Motor 3.7L 6
Cilindros 6
N Fecha Subasta Participantes Tipo de subasta Última oferta Estado de venta Ubicación del comprador
1 2018-03-20 14:20:08.0 Cincinnati / Lane - A 499 8700.0 ¡Vendido! NEW YORK

Detalles del vehículo:

Tipo de documento CERTIFICATE OF SALVAGE
Estado del vehículo Funciona y conduce
Odómetro: 52996.0(Real)
Daño principal Historial de daños
Daño secundario Abolladuras/Rayones menores
Valor estimado de venta al por menor 0.0
Costo de recuperación 0.0
VIN JN1BV7AR7EM701847
Vendedor
Notas

Tipo de vehículo Automóvil
Estilo de carrocería Sedán 4D
Color Blanco
Llave
Tracción Tracción en todas las ruedas
Transmisión
Combustible Gasolina
Motor 3.7L 6
Cilindros 6
N Fecha Subasta Participantes Tipo de subasta Última oferta Estado de venta Ubicación del comprador
1 2019-07-10 15:53:41.0 MT - Helena / Lane - A 2645 4650.0 ¡Vendido con aprobación! NEW YORK


Otros vehículos del mismo modelo con el mismo daño

2014 INFINITI Q50 BASE

2014 INFINITI Q50 BASE,

¡Vendido! Odómetro: 0.0(No actual) +
Daño: Daño lateral/Daño en la parte delantera

Ver historial de subastas

2015 INFINITI Q50 BASE

2015 INFINITI Q50 BASE,

¡Vendido! Odómetro: 115117.0(Real) +
Daño: Daño lateral/Daño en la parte delantera

Ver historial de subastas

2015 INFINITI Q50 BASE

2015 INFINITI Q50 BASE,

¡Vendido! Odómetro: 132082.0(Real) +
Daño: Daño en la parte trasera/Daño en la parte delantera

Ver historial de subastas

2017 INFINITI Q50 BASE

2017 INFINITI Q50 BASE,

¡Vendido con aprobación! Odómetro: 84123.0(Real) +
Daño: Daño en la parte delantera/Daño lateral

Ver historial de subastas

2015 INFINITI Q50 BASE

2015 INFINITI Q50 BASE,

¡Vendido con aprobación! Odómetro: 140776.0(Real) +
Daño: Daño en la parte delantera/Datos no disponibles

Ver historial de subastas

2015 INFINITI Q50 BASE

2015 INFINITI Q50 BASE,

¡Vendido con aprobación! Odómetro: 151154.0(No actual) +
Daño: Daño en la parte delantera/Datos no disponibles

Ver historial de subastas

Lotes de subastas aleatorios de la semana pasada