¿Listo para encontrar tu coche?

Cars Bids History

Encuentra actualizaciones diarias de las subastas de Copart

2016 CHEVROLET CAMARO SS Rojo, 1G1FE1R74G0185674

Detalles del vehículo:

Tipo de documento SALVAGE VEHICLE TITLE
Estado del vehículo Funciona y conduce
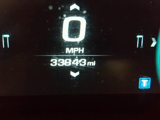
Odómetro: 33843.0(Real)
Daño principal Daño en la parte delantera
Daño secundario Datos no disponibles
Valor estimado de venta al por menor 27732.0
Costo de recuperación 25281.0
VIN 1G1FE1R74G0185674
Vendedor
Notas

Tipo de vehículo Automóvil
Estilo de carrocería Cupé
Color Rojo
Llave
Tracción Tracción trasera
Transmisión
Combustible Gasolina
Motor 6.2L 8
Cilindros 8
N Fecha Subasta Participantes Tipo de subasta Última oferta Estado de venta Ubicación del comprador
1 2018-03-09 19:29:39.0 Los Angeles / Lane - B 470 10300.0 ¡Vendido! NEW MEXICO


Otros vehículos del mismo modelo con el mismo daño

2018 CHEVROLET CAMARO SS

2018 CHEVROLET CAMARO SS,

¡Vendido con aprobación! Odómetro: 0.0(No actual) +
Daño: Daño en la parte delantera/Daño lateral

Ver historial de subastas

2018 CHEVROLET CAMARO SS

2018 CHEVROLET CAMARO SS,

¡Vendido! Odómetro: 41821.0(Real) +
Daño: Daño en la parte delantera/Bajo chasis

Ver historial de subastas

2018 CHEVROLET CAMARO SS

2018 CHEVROLET CAMARO SS,

¡Vendido! Odómetro: 46251.0(Real) +
Daño: Daño en la parte delantera/Daño lateral

Ver historial de subastas

2017 CHEVROLET CAMARO SS

2017 CHEVROLET CAMARO SS,

¡Vendido! Odómetro: 0.0(No actual) +
Daño: Daño en la parte delantera/Daño en la parte trasera

Ver historial de subastas

2021 CHEVROLET CAMARO SS

2021 CHEVROLET CAMARO SS,

¡Vendido! Odómetro: 54654.0(Real) +
Daño: Daño en la parte delantera/Daño en la parte trasera

Ver historial de subastas

2022 CHEVROLET CAMARO SS

2022 CHEVROLET CAMARO SS,

¡Vendido con aprobación! Odómetro: 16864.0(Real) +
Daño: Daño en la parte delantera/Daño lateral

Ver historial de subastas

Lotes de subastas aleatorios de la semana pasada