¿Listo para encontrar tu coche?

Cars Bids History

Encuentra actualizaciones diarias de las subastas de Copart

2016 CHEVROLET CAMARO SS Negro, 1G1FF1R72G0137636

Detalles del vehículo:

Tipo de documento SALVAGE CERTIFICATE
Estado del vehículo Funciona y conduce
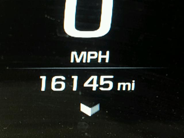
Odómetro: 16145.0(Real)
Daño principal Daño en la parte trasera
Daño secundario Datos no disponibles
Valor estimado de venta al por menor 31591.0
Costo de recuperación 0.0
VIN 1G1FF1R72G0137636
Vendedor
Notas

Tipo de vehículo Automóvil
Estilo de carrocería Cupé
Color Negro
Llave
Tracción Tracción trasera
Transmisión
Combustible Gasolina
Motor 6.2L 8
Cilindros 8
N Fecha Subasta Participantes Tipo de subasta Última oferta Estado de venta Ubicación del comprador
1 2018-03-06 21:09:03.0 Houston / Lane - C 913 14200.0 ¡Vendido con aprobación! ILLINOIS
2 2018-02-27 20:35:56.0 Manchester / Lane - A 720 14100.0 ¡Vendido con aprobación! INDIANA
3 2018-02-20 20:29:51.0 Huntsville / Lane - A 626 13900.0 ¡Vendido con aprobación! ILLINOIS


Otros vehículos del mismo modelo con el mismo daño

2017 CHEVROLET CAMARO SS

2017 CHEVROLET CAMARO SS,

¡Vendido con aprobación! Odómetro: 98108.0(Real) +
Daño: Daño en la parte trasera/Abolladuras/Rayones menores

Ver historial de subastas

2018 CHEVROLET CAMARO SS

2018 CHEVROLET CAMARO SS,

¡Vendido con aprobación! Odómetro: 25406.0(Real) +
Daño: Daño lateral/Daño en la parte trasera

Ver historial de subastas

2010 CHEVROLET CAMARO SS

2010 CHEVROLET CAMARO SS,

¡Vendido con aprobación! Odómetro: 133790.0(Real) +
Daño: Daño en la parte trasera/Daño en la parte delantera

Ver historial de subastas

2010 CHEVROLET CAMARO SS

2010 CHEVROLET CAMARO SS,

¡Vendido con aprobación! Odómetro: 120760.0(Real) +
Daño: Daño en la parte delantera/Daño en la parte trasera

Ver historial de subastas

2019 CHEVROLET CAMARO SS

2019 CHEVROLET CAMARO SS,

¡Vendido! Odómetro: 41205.0(Real) +
Daño: Daño lateral/Daño en la parte trasera

Ver historial de subastas

2017 CHEVROLET CAMARO SS

2017 CHEVROLET CAMARO SS,

¡Vendido! Odómetro: 88246.0(Real) +
Daño: Daño en la parte delantera/Daño en la parte trasera

Ver historial de subastas

Lotes de subastas aleatorios de la semana pasada