Prêt à trouver votre voiture?

Cars Bids History

Retrouvez les mises à jour quotidiennes des enchères Copart

2008 TOYOTA SCION TC Bordeaux, JTKDE167880268490

Détails du véhicule :

Type de document SALVAGE CERTIFICATE
Statut du véhicule Fonctionne et roule
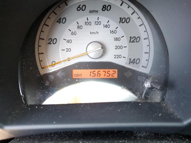
Odomètre : 156752.0(Réel)
Dommages principaux Dommages latéraux
Dommages secondaires Petites bosses/Éraflures
Valeur estimée au détail 4256.0
Coût de récupération 0.0
VIN JTKDE167880268490
Vendeur
Remarques

Type de véhicule Automobile
Style de carrosserie
Couleur Bordeaux
Clé Oui
Transmission Traction avant
Boîte de vitesses Automatique
Carburant Essence
Moteur 2.4L 4
Cylindres 4
N Date Enchères Participants Type d'enchères Dernière offre Statut de vente Localisation de l'acheteur
1 2022-10-11 14:00:00.0 TN - Knoxville / Lane - D 1150.0 Vendu! TNUSA


Autres véhicules du même modèle avec les mêmes dommages

2012 TOYOTA SCION TC

2012 TOYOTA SCION TC,

Vendu avec approbation! Odomètre: 154010.0(Réel) +
Dommage: Dommages latéraux/Données indisponibles

Voir l'historique des enchères

2013 TOYOTA SCION TC

2013 TOYOTA SCION TC,

Vendu avec approbation! Odomètre: 90200.0(Réel) +
Dommage: Dommages latéraux/Données indisponibles

Voir l'historique des enchères

2014 TOYOTA SCION TC

2014 TOYOTA SCION TC,

Vendu avec approbation! Odomètre: 98034.0(Réel) +
Dommage: Dommages latéraux/Dommages à l’arrière

Voir l'historique des enchères

2013 TOYOTA SCION TC

2013 TOYOTA SCION TC,

Vendu avec approbation! Odomètre: 168973.0(Réel) +
Dommage: Biohazard/Chimique/Dommages latéraux

Voir l'historique des enchères

2008 TOYOTA SCION TC

2008 TOYOTA SCION TC,

Vendu avec approbation! Odomètre: 197981.0(Exempté) +
Dommage: Dommages à l’avant/Dommages latéraux

Voir l'historique des enchères

2005 TOYOTA SCION TC

2005 TOYOTA SCION TC,

Vendu! Odomètre: 278904.0(Réel) +
Dommage: Dommages latéraux/Données indisponibles

Voir l'historique des enchères

Lots d'enchères aléatoires de la semaine dernière