მზად ხართ, რომ იპოვოთ თქვენი მანქანა?

Cars Bids History

იპოვეთ ყოველდღიური განახლებები Copart აუქციონებიდან

2017 GMC ACADIA SLT თეთრი, 1GKKNMLA8HZ149239

ავტომობილის დეტალები:

დოკუმენტის ტიპი CERT OF TITLE-SALVAGE TITLE
ავტომობილის სტატუსი მუშაობს და მოძრაობს
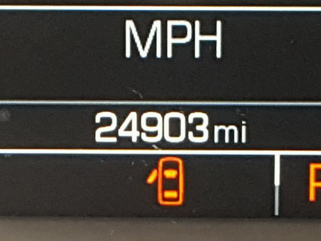
ოდომეტრი: 24903.0(ნამდვილი)
ძირითადი დაზიანება წინა ნაწილის დაზიანება
მეორადი დაზიანება გვერდითი დაზიანება
სავარაუდო საცალო ღირებულება 25147.0
აღდგენის ღირებულება 14936.49
VIN 1GKKNMLA8HZ149239
გამყიდველი
შენიშვნები

ავტომობილის ტიპი ავტომობილი
კორპუსის ტიპი 4-კარიანი სპორტული
ფერი თეთრი
გასაღები დიახ
წამყვანი სისტემა წინაამძრავიანი
გადაცემათა კოლოფი
საწვავი ბენზინი
ძრავი 2.5L 4
ცილინდრები 4
N თარიღი აუქციონი მონაწილეები აუქციონის ტიპი ბოლო ტენდერი გაყიდვის სტატუსი მყიდველის მდებარეობა
1 2018-04-09 17:55:56.0 Casper / Lane - A 1448 8000.0 გაყიდულია დამტკიცებით! LOUISIANA


ამავე მოდელის სხვა ავტომობილები იგივე დაზიანებით

2023 GMC ACADIA SLT

2023 GMC ACADIA SLT,

გაყიდულია დამტკიცებით! ოდომეტრი: 47579.0(ნამდვილი) +
დაზიანება: წინა ნაწილის დაზიანება/გვერდითი დაზიანება

აუქციონის ისტორიის ნახვა

2020 GMC ACADIA SLT

2020 GMC ACADIA SLT,

გაყიდულია! ოდომეტრი: 139818.0(ნამდვილი) +
დაზიანება: წინა ნაწილის დაზიანება/მონაცემები არ არის

აუქციონის ისტორიის ნახვა

2023 GMC ACADIA SLT

2023 GMC ACADIA SLT,

გაყიდულია! ოდომეტრი: 60874.0(ნამდვილი) +
დაზიანება: წინა ნაწილის დაზიანება/უკანა ნაწილის დაზიანება

აუქციონის ისტორიის ნახვა

2023 GMC ACADIA SLT

2023 GMC ACADIA SLT,

გაყიდულია დამტკიცებით! ოდომეტრი: 53674.0(ნამდვილი) +
დაზიანება: წინა ნაწილის დაზიანება/გვერდითი დაზიანება

აუქციონის ისტორიის ნახვა

2023 GMC ACADIA SLT

2023 GMC ACADIA SLT,

გაყიდულია! ოდომეტრი: 45985.0(ნამდვილი) +
დაზიანება: წინა ნაწილის დაზიანება/სახურავი/ზედა ნაწილი

აუქციონის ისტორიის ნახვა

შემთხვევითი აუქციონები წინა კვირიდან