მზად ხართ, რომ იპოვოთ თქვენი მანქანა?

Cars Bids History

იპოვეთ ყოველდღიური განახლებები Copart აუქციონებიდან

2002 HONDA CIVIC EX მწვანე, 1HGES26772L057458

ავტომობილის დეტალები:

დოკუმენტის ტიპი CERT OF TITLE SLVG REBUILDABLE
ავტომობილის სტატუსი ძრავის გაშვების პროგრამა
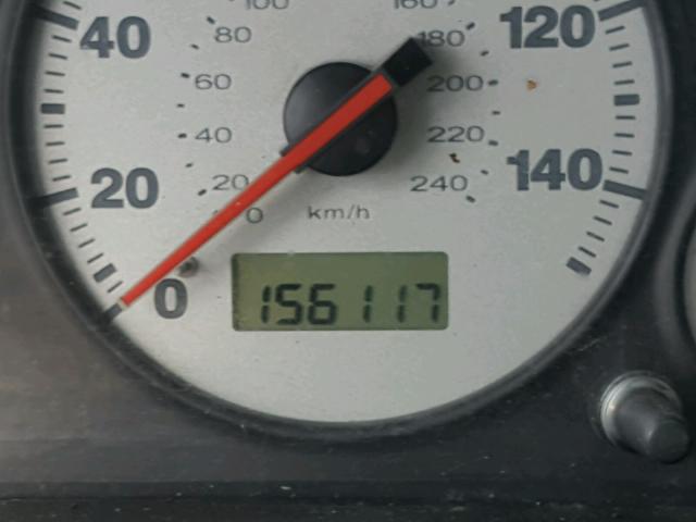
ოდომეტრი: 156117.0(გათავისუფლებული)
ძირითადი დაზიანება წინა ნაწილის დაზიანება
მეორადი დაზიანება უმნიშვნელო ბზარები/ნაკაწრები
სავარაუდო საცალო ღირებულება 2574.0
აღდგენის ღირებულება 8438.01
VIN 1HGES26772L057458
გამყიდველი
შენიშვნები

ავტომობილის ტიპი ავტომობილი
კორპუსის ტიპი სედანი 4D
ფერი მწვანე
გასაღები დიახ
წამყვანი სისტემა წინაამძრავიანი
გადაცემათა კოლოფი
საწვავი ბენზინი
ძრავი 1.7L 4
ცილინდრები 4
N თარიღი აუქციონი მონაწილეები აუქციონის ტიპი ბოლო ტენდერი გაყიდვის სტატუსი მყიდველის მდებარეობა
1 2018-02-23 16:04:54.0 Dallas/Ft Worth / Lane - A 901 425.0 გაყიდულია! Starting Bid


ამავე მოდელის სხვა ავტომობილები იგივე დაზიანებით

2014 HONDA CIVIC EX

2014 HONDA CIVIC EX,

გაყიდულია დამტკიცებით! ოდომეტრი: 168399.0(ნამდვილი) +
დაზიანება: წინა ნაწილის დაზიანება/გვერდითი დაზიანება

აუქციონის ისტორიის ნახვა

2017 HONDA CIVIC EX

2017 HONDA CIVIC EX,

გაყიდულია! ოდომეტრი: 119716.0(ნამდვილი) +
დაზიანება: წინა ნაწილის დაზიანება/მონაცემები არ არის

აუქციონის ისტორიის ნახვა

2014 HONDA CIVIC EX

2014 HONDA CIVIC EX,

გაყიდულია დამტკიცებით! ოდომეტრი: 100990.0(ნამდვილი) +
დაზიანება: წინა ნაწილის დაზიანება/მონაცემები არ არის

აუქციონის ისტორიის ნახვა

2013 HONDA CIVIC EX

2013 HONDA CIVIC EX,

გაყიდულია! ოდომეტრი: 103221.0(ნამდვილი) +
დაზიანება: წინა ნაწილის დაზიანება/მონაცემები არ არის

აუქციონის ისტორიის ნახვა

2018 HONDA CIVIC EX

2018 HONDA CIVIC EX,

გაყიდულია! ოდომეტრი: 99972.0(ნამდვილი) +
დაზიანება: წინა ნაწილის დაზიანება/მონაცემები არ არის

აუქციონის ისტორიის ნახვა

2015 HONDA CIVIC EX

2015 HONDA CIVIC EX,

გაყიდულია! ოდომეტრი: 253739.0(ნამდვილი) +
დაზიანება: წინა ნაწილის დაზიანება/გვერდითი დაზიანება

აუქციონის ისტორიის ნახვა

შემთხვევითი აუქციონები წინა კვირიდან