მზად ხართ, რომ იპოვოთ თქვენი მანქანა?

Cars Bids History

იპოვეთ ყოველდღიური განახლებები Copart აუქციონებიდან

2014 HONDA CIVIC EX ლურჯი, 19XFB2F86EE036206

ავტომობილის დეტალები:

დოკუმენტის ტიპი SALVAGE TITLE
ავტომობილის სტატუსი მუშაობს და მოძრაობს
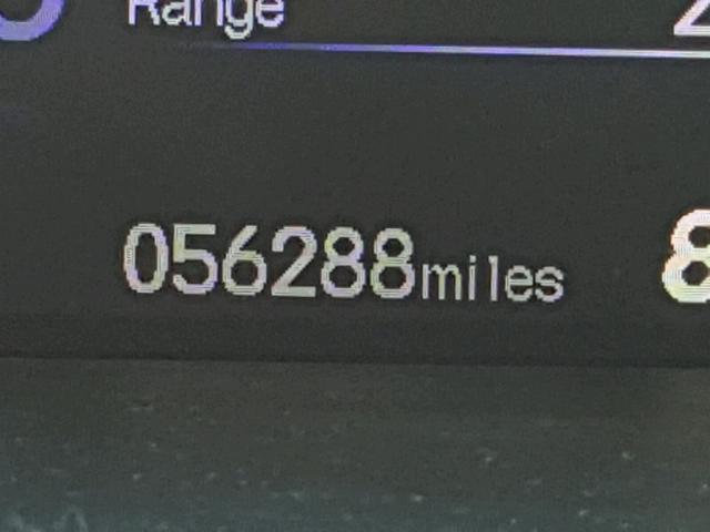
ოდომეტრი: 56288.0(ნამდვილი)
ძირითადი დაზიანება უკანა ნაწილის დაზიანება
მეორადი დაზიანება წინა ნაწილის დაზიანება
სავარაუდო საცალო ღირებულება 11375.0
აღდგენის ღირებულება 10897.06
VIN 19XFB2F86EE036206
გამყიდველი Farmers Insurance
შენიშვნები

ავტომობილის ტიპი ავტომობილი
კორპუსის ტიპი სედანი 4D
ფერი ლურჯი
გასაღები დიახ
წამყვანი სისტემა წინაამძრავიანი
გადაცემათა კოლოფი
საწვავი ბენზინი
ძრავი 1.8L 4
ცილინდრები 4
N თარიღი აუქციონი მონაწილეები აუქციონის ტიპი ბოლო ტენდერი გაყიდვის სტატუსი მყიდველის მდებარეობა
1 2018-03-15 19:09:13.0 Seattle / Lane - B 570 2550.0 გაყიდულია! HONDURAS


ამავე მოდელის სხვა ავტომობილები იგივე დაზიანებით

2013 HONDA CIVIC EX

2013 HONDA CIVIC EX,

გაყიდულია! ოდომეტრი: 179274.0(ნამდვილი) +
დაზიანება: წინა ნაწილის დაზიანება/უკანა ნაწილის დაზიანება

აუქციონის ისტორიის ნახვა

2017 HONDA CIVIC EX

2017 HONDA CIVIC EX,

გაყიდულია! ოდომეტრი: 69172.0(ნამდვილი) +
დაზიანება: გვერდითი დაზიანება/უკანა ნაწილის დაზიანება

აუქციონის ისტორიის ნახვა

2015 HONDA CIVIC EX

2015 HONDA CIVIC EX,

გაყიდულია! ოდომეტრი: 131340.0(ნამდვილი) +
დაზიანება: უკანა ნაწილის დაზიანება/წინა ნაწილის დაზიანება

აუქციონის ისტორიის ნახვა

2017 HONDA CIVIC EX

2017 HONDA CIVIC EX,

გაყიდულია! ოდომეტრი: 137467.0(ნამდვილი) +
დაზიანება: უკანა ნაწილის დაზიანება/მონაცემები არ არის

აუქციონის ისტორიის ნახვა

2016 HONDA CIVIC EX

2016 HONDA CIVIC EX,

გაყიდულია! ოდომეტრი: 105643.0(ნამდვილი) +
დაზიანება: წინა ნაწილის დაზიანება/უკანა ნაწილის დაზიანება

აუქციონის ისტორიის ნახვა

2006 HONDA CIVIC EX

2006 HONDA CIVIC EX,

გაყიდულია დამტკიცებით! ოდომეტრი: 210543.0(ნამდვილი) +
დაზიანება: უკანა ნაწილის დაზიანება/მონაცემები არ არის

აუქციონის ისტორიის ნახვა

შემთხვევითი აუქციონები წინა კვირიდან