მზად ხართ, რომ იპოვოთ თქვენი მანქანა?

Cars Bids History

იპოვეთ ყოველდღიური განახლებები Copart აუქციონებიდან

2017 HONDA CIVIC EX ვერცხლისფერი, 2HGFC2F76HH558588

ავტომობილის დეტალები:

დოკუმენტის ტიპი CERTIFICATE OF SALVAGE
ავტომობილის სტატუსი მუშაობს და მოძრაობს
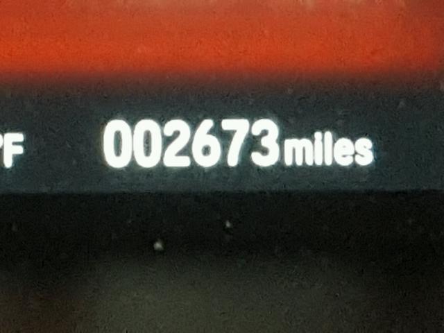
ოდომეტრი: 2673.0(ნამდვილი)
ძირითადი დაზიანება გვერდითი დაზიანება
მეორადი დაზიანება უკანა ნაწილის დაზიანება
სავარაუდო საცალო ღირებულება 20607.0
აღდგენის ღირებულება 14203.59
VIN 2HGFC2F76HH558588
გამყიდველი State Farm Insurance
შენიშვნები

ავტომობილის ტიპი ავტომობილი
კორპუსის ტიპი სედანი 4D
ფერი ვერცხლისფერი
გასაღები დიახ
წამყვანი სისტემა წინაამძრავიანი
გადაცემათა კოლოფი
საწვავი ბენზინი
ძრავი 2.0L 4
ცილინდრები 4
N თარიღი აუქციონი მონაწილეები აუქციონის ტიპი ბოლო ტენდერი გაყიდვის სტატუსი მყიდველის მდებარეობა
1 2018-03-20 15:06:17.0 Bridgeport / Lane - A 877 5000.0 გაყიდულია! FLORIDA
2 2018-03-13 15:16:11.0 El Paso / Lane - A 1165 4300.0 გაყიდულია დამტკიცებით! MINNESOTA


ამავე მოდელის სხვა ავტომობილები იგივე დაზიანებით

2020 HONDA CIVIC EX

2020 HONDA CIVIC EX,

გაყიდულია დამტკიცებით! ოდომეტრი: 43029.0(ნამდვილი) +
დაზიანება: გვერდითი დაზიანება/მონაცემები არ არის

აუქციონის ისტორიის ნახვა

2007 HONDA CIVIC EX

2007 HONDA CIVIC EX,

გაყიდულია! ოდომეტრი: 144946.0(არასწორი) +
დაზიანება: უკანა ნაწილის დაზიანება/გვერდითი დაზიანება

აუქციონის ისტორიის ნახვა

2017 HONDA CIVIC EX

2017 HONDA CIVIC EX,

გაყიდულია დამტკიცებით! ოდომეტრი: 74369.0(ნამდვილი) +
დაზიანება: წინა ნაწილის დაზიანება/გვერდითი დაზიანება

აუქციონის ისტორიის ნახვა

2015 HONDA CIVIC EX

2015 HONDA CIVIC EX,

გაყიდულია! ოდომეტრი: 98445.0(ნამდვილი) +
დაზიანება: წინა ნაწილის დაზიანება/გვერდითი დაზიანება

აუქციონის ისტორიის ნახვა

2009 HONDA CIVIC EX

2009 HONDA CIVIC EX,

გაყიდულია! ოდომეტრი: 148091.0(ნამდვილი) +
დაზიანება: წინა ნაწილის დაზიანება/გვერდითი დაზიანება

აუქციონის ისტორიის ნახვა

2017 HONDA CIVIC EX

2017 HONDA CIVIC EX,

გაყიდულია დამტკიცებით! ოდომეტრი: 167791.0(ნამდვილი) +
დაზიანება: წინა ნაწილის დაზიანება/გვერდითი დაზიანება

აუქციონის ისტორიის ნახვა

შემთხვევითი აუქციონები წინა კვირიდან