მზად ხართ, რომ იპოვოთ თქვენი მანქანა?

Cars Bids History

იპოვეთ ყოველდღიური განახლებები Copart აუქციონებიდან

2012 HONDA CIVIC EXL ლურჯი, 2HGFB2F97CH505217

ავტომობილის დეტალები:

დოკუმენტის ტიპი SALVAGE VEHICLE TITLE
ავტომობილის სტატუსი მუშაობს და მოძრაობს
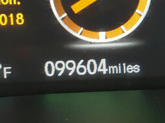
ოდომეტრი: 99604.0(ნამდვილი)
ძირითადი დაზიანება წინა ნაწილის დაზიანება
მეორადი დაზიანება ზიანის ისტორია
სავარაუდო საცალო ღირებულება 10056.0
აღდგენის ღირებულება 8281.79
VIN 2HGFB2F97CH505217
გამყიდველი State Farm Insurance
შენიშვნები

ავტომობილის ტიპი ავტომობილი
კორპუსის ტიპი სედანი 4D
ფერი ლურჯი
გასაღები დიახ
წამყვანი სისტემა წინაამძრავიანი
გადაცემათა კოლოფი
საწვავი ბენზინი
ძრავი 1.8L 4
ცილინდრები 4
N თარიღი აუქციონი მონაწილეები აუქციონის ტიპი ბოლო ტენდერი გაყიდვის სტატუსი მყიდველის მდებარეობა
1 2018-05-03 17:21:33.0 Akron-Canton / Lane - A 1206 2750.0 გაყიდულია! TEXAS


ამავე მოდელის სხვა ავტომობილები იგივე დაზიანებით

2018 HONDA CIVIC EXL

2018 HONDA CIVIC EXL,

გაყიდულია! ოდომეტრი: 89744.0(ნამდვილი) +
დაზიანება: წინა ნაწილის დაზიანება/მონაცემები არ არის

აუქციონის ისტორიის ნახვა

2012 HONDA CIVIC EXL

2012 HONDA CIVIC EXL,

გაყიდულია! ოდომეტრი: 86474.0(ნამდვილი) +
დაზიანება: წინა ნაწილის დაზიანება/მონაცემები არ არის

აუქციონის ისტორიის ნახვა

2024 HONDA CIVIC EXL

2024 HONDA CIVIC EXL,

გაყიდულია დამტკიცებით! ოდომეტრი: 11369.0(ნამდვილი) +
დაზიანება: წინა ნაწილის დაზიანება/მონაცემები არ არის

აუქციონის ისტორიის ნახვა

2012 HONDA CIVIC EXL

2012 HONDA CIVIC EXL,

გაყიდულია! ოდომეტრი: 98592.0(ნამდვილი) +
დაზიანება: წინა ნაწილის დაზიანება/მონაცემები არ არის

აუქციონის ისტორიის ნახვა

2012 HONDA CIVIC EXL

2012 HONDA CIVIC EXL,

გაყიდულია! ოდომეტრი: 154646.0(არასწორი) +
დაზიანება: წინა ნაწილის დაზიანება/გვერდითი დაზიანება

აუქციონის ისტორიის ნახვა

2013 HONDA CIVIC EXL

2013 HONDA CIVIC EXL,

გაყიდულია! ოდომეტრი: 205858.0(ნამდვილი) +
დაზიანება: წინა ნაწილის დაზიანება/უმნიშვნელო ბზარები/ნაკაწრები

აუქციონის ისტორიის ნახვა

შემთხვევითი აუქციონები წინა კვირიდან