მზად ხართ, რომ იპოვოთ თქვენი მანქანა?

Cars Bids History

იპოვეთ ყოველდღიური განახლებები Copart აუქციონებიდან

2016 RAM 1500 REBEL თეთრი, 1C6RR7YT3GS213504

ავტომობილის დეტალები:

დოკუმენტის ტიპი SALVAGE TITLE-FLOOD DAMAGE
ავტომობილის სტატუსი გაუმჯობესებული მანქანები
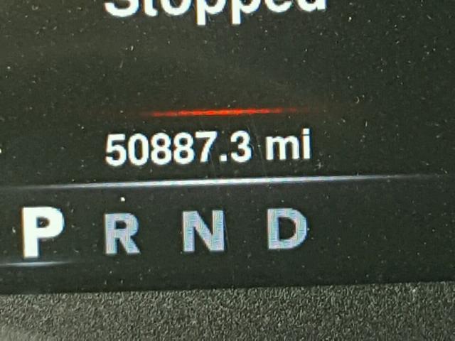
ოდომეტრი: 50887.0(ნამდვილი)
ძირითადი დაზიანება წყალი/წყალდიდობა
მეორადი დაზიანება გვერდითი დაზიანება
სავარაუდო საცალო ღირებულება 31702.0
აღდგენის ღირებულება 31702.0
VIN 1C6RR7YT3GS213504
გამყიდველი
შენიშვნები

ავტომობილის ტიპი ავტომობილი
კორპუსის ტიპი გუნდური პიკაპი
ფერი თეთრი
გასაღები დიახ
წამყვანი სისტემა 4x4 უკანაამძრავიანი
გადაცემათა კოლოფი
საწვავი ბენზინი
ძრავი 5.7L 8
ცილინდრები 8
N თარიღი აუქციონი მონაწილეები აუქციონის ტიპი ბოლო ტენდერი გაყიდვის სტატუსი მყიდველის მდებარეობა
1 2018-08-29 18:15:03.0 CA - Adelanto / Lane - A 3325 16700.0 გაყიდულია! KENTUCKY

ავტომობილის დეტალები:

დოკუმენტის ტიპი CERT OF TITLE-SALVAGE WATER
ავტომობილის სტატუსი მუშაობს და მოძრაობს
ოდომეტრი: 106424.0(ნამდვილი)
ძირითადი დაზიანება გვერდითი დაზიანება
მეორადი დაზიანება მონაცემები არ არის
სავარაუდო საცალო ღირებულება 17072.0
აღდგენის ღირებულება 6151.18
VIN 1C6RR7YT3GS213504
გამყიდველი
შენიშვნები

ავტომობილის ტიპი ავტომობილი
კორპუსის ტიპი
ფერი თეთრი
გასაღები დიახ
წამყვანი სისტემა 4x4 უკანაამძრავიანი
გადაცემათა კოლოფი ავტომატური
საწვავი ბენზინი
ძრავი 5.7L 8
ცილინდრები 8
N თარიღი აუქციონი მონაწილეები აუქციონის ტიპი ბოლო ტენდერი გაყიდვის სტატუსი მყიდველის მდებარეობა
1 2025-08-27 14:00:00.0 KY - Lexington West / Lane - A 8100.0 გაყიდულია! KYUSA


ამავე მოდელის სხვა ავტომობილები იგივე დაზიანებით

2021 RAM 1500 REBEL

2021 RAM 1500 REBEL,

გაყიდულია დამტკიცებით! ოდომეტრი: 121723.0(ნამდვილი) +
დაზიანება: წყალი/წყალდიდობა/მონაცემები არ არის

აუქციონის ისტორიის ნახვა

2020 RAM 1500 REBEL

2020 RAM 1500 REBEL,

გაყიდულია დამტკიცებით! ოდომეტრი: 134407.0(ნამდვილი) +
დაზიანება: წყალი/წყალდიდობა/უმნიშვნელო ბზარები/ნაკაწრები

აუქციონის ისტორიის ნახვა

2025 RAM 1500 REBEL

2025 RAM 1500 REBEL,

გაყიდულია! ოდომეტრი: 15845.0(არასწორი) +
დაზიანება: წყალი/წყალდიდობა/მონაცემები არ არის

აუქციონის ისტორიის ნახვა

2020 RAM 1500 REBEL

2020 RAM 1500 REBEL,

გაყიდულია დამტკიცებით! ოდომეტრი: 86689.0(ნამდვილი) +
დაზიანება: წყალი/წყალდიდობა/მონაცემები არ არის

აუქციონის ისტორიის ნახვა

2020 RAM 1500 REBEL

2020 RAM 1500 REBEL,

გაყიდულია! ოდომეტრი: 134407.0(ნამდვილი) +
დაზიანება: წყალი/წყალდიდობა/უმნიშვნელო ბზარები/ნაკაწრები

აუქციონის ისტორიის ნახვა

2019 RAM 1500 REBEL

2019 RAM 1500 REBEL,

გაყიდულია დამტკიცებით! ოდომეტრი: 0.0(არასწორი) +
დაზიანება: წყალი/წყალდიდობა/გვერდითი დაზიანება

აუქციონის ისტორიის ნახვა

შემთხვევითი აუქციონები წინა კვირიდან