მზად ხართ, რომ იპოვოთ თქვენი მანქანა?

Cars Bids History

იპოვეთ ყოველდღიური განახლებები Copart აუქციონებიდან

2005 TOYOTA SCION TC შავი, JTKDE177X50009722

ავტომობილის დეტალები:

დოკუმენტის ტიპი CERT OF TITLE-SALVAGE
ავტომობილის სტატუსი ძრავის გაშვების პროგრამა
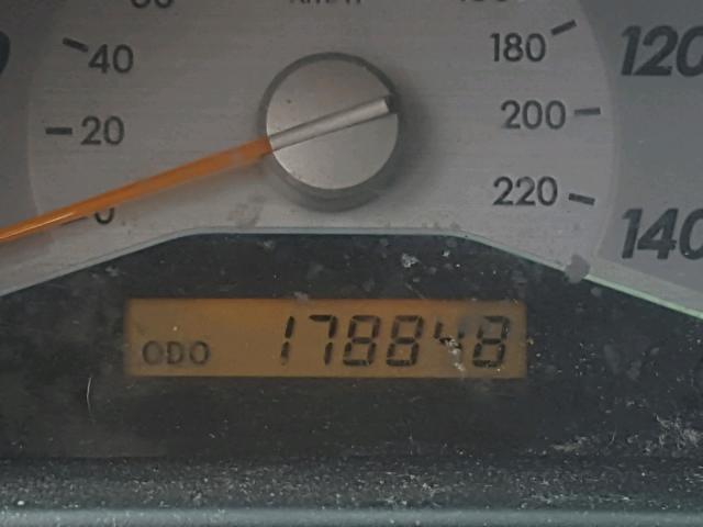
ოდომეტრი: 178848.0(ნამდვილი)
ძირითადი დაზიანება წინა ნაწილის დაზიანება
მეორადი დაზიანება გვერდითი დაზიანება
სავარაუდო საცალო ღირებულება 0.0
აღდგენის ღირებულება 0.0
VIN JTKDE177X50009722
გამყიდველი
შენიშვნები

ავტომობილის ტიპი ავტომობილი
კორპუსის ტიპი ჰეჩბექი
ფერი შავი
გასაღები დიახ
წამყვანი სისტემა წინაამძრავიანი
გადაცემათა კოლოფი
საწვავი ბენზინი
ძრავი 2.4L 4
ცილინდრები 4
N თარიღი აუქციონი მონაწილეები აუქციონის ტიპი ბოლო ტენდერი გაყიდვის სტატუსი მყიდველის მდებარეობა
1 2019-04-18 18:31:10.0 NM - Albuquerque / Lane - C 540 400.0 გაყიდულია! Starting Bid


ამავე მოდელის სხვა ავტომობილები იგივე დაზიანებით

2016 TOYOTA SCION TC

2016 TOYOTA SCION TC,

გაყიდულია! ოდომეტრი: 128284.0(ნამდვილი) +
დაზიანება: გვერდითი დაზიანება/წინა ნაწილის დაზიანება

აუქციონის ისტორიის ნახვა

2014 TOYOTA SCION TC

2014 TOYOTA SCION TC,

გაყიდულია დამტკიცებით! ოდომეტრი: 187925.0(ნამდვილი) +
დაზიანება: წინა ნაწილის დაზიანება/მონაცემები არ არის

აუქციონის ისტორიის ნახვა

2006 TOYOTA SCION TC

2006 TOYOTA SCION TC,

გაყიდულია! ოდომეტრი: 177100.0(ნამდვილი) +
დაზიანება: წინა ნაწილის დაზიანება/მონაცემები არ არის

აუქციონის ისტორიის ნახვა

2012 TOYOTA SCION TC

2012 TOYOTA SCION TC,

გაყიდულია! ოდომეტრი: 176700.0(ნამდვილი) +
დაზიანება: წინა ნაწილის დაზიანება/გვერდითი დაზიანება

აუქციონის ისტორიის ნახვა

2009 TOYOTA SCION TC

2009 TOYOTA SCION TC,

გაყიდულია! ოდომეტრი: 0.0(გათავისუფლებული) +
დაზიანება: წინა ნაწილის დაზიანება/მონაცემები არ არის

აუქციონის ისტორიის ნახვა

2007 TOYOTA SCION TC

2007 TOYOTA SCION TC,

გაყიდულია! ოდომეტრი: 254495.0(ნამდვილი) +
დაზიანება: გვერდითი დაზიანება/წინა ნაწილის დაზიანება

აუქციონის ისტორიის ნახვა

შემთხვევითი აუქციონები წინა კვირიდან