მზად ხართ, რომ იპოვოთ თქვენი მანქანა?

Cars Bids History

იპოვეთ ყოველდღიური განახლებები Copart აუქციონებიდან

2005 TOYOTA SCION TC ვერცხლისფერი, JTKDE167750044705

ავტომობილის დეტალები:

დოკუმენტის ტიპი SALVAGE CERTIFICATE
ავტომობილის სტატუსი მუშაობს და მოძრაობს
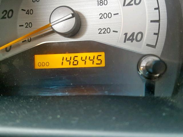
ოდომეტრი: 146445.0(ნამდვილი)
ძირითადი დაზიანება უკანა ნაწილის დაზიანება
მეორადი დაზიანება მონაცემები არ არის
სავარაუდო საცალო ღირებულება 3045.0
აღდგენის ღირებულება 3571.1
VIN JTKDE167750044705
გამყიდველი
შენიშვნები

ავტომობილის ტიპი ავტომობილი
კორპუსის ტიპი ჰეჩბექი
ფერი ვერცხლისფერი
გასაღები დიახ
წამყვანი სისტემა წინაამძრავიანი
გადაცემათა კოლოფი
საწვავი ბენზინი
ძრავი 2.4L 4
ცილინდრები 4
N თარიღი აუქციონი მონაწილეები აუქციონის ტიპი ბოლო ტენდერი გაყიდვის სტატუსი მყიდველის მდებარეობა
1 2019-07-31 19:52:10.0 TX - Ft. Worth / Lane - A 2852 1150.0 გაყიდულია! MEXICO


ამავე მოდელის სხვა ავტომობილები იგივე დაზიანებით

2013 TOYOTA SCION TC

2013 TOYOTA SCION TC,

გაყიდულია დამტკიცებით! ოდომეტრი: 94697.0(ნამდვილი) +
დაზიანება: უკანა ნაწილის დაზიანება/მონაცემები არ არის

აუქციონის ისტორიის ნახვა

2014 TOYOTA SCION TC

2014 TOYOTA SCION TC,

გაყიდულია დამტკიცებით! ოდომეტრი: 98034.0(ნამდვილი) +
დაზიანება: გვერდითი დაზიანება/უკანა ნაწილის დაზიანება

აუქციონის ისტორიის ნახვა

2015 TOYOTA SCION TC

2015 TOYOTA SCION TC,

გაყიდულია დამტკიცებით! ოდომეტრი: 245065.0(ნამდვილი) +
დაზიანება: უკანა ნაწილის დაზიანება/წინა ნაწილის დაზიანება

აუქციონის ისტორიის ნახვა

2012 TOYOTA SCION TC

2012 TOYOTA SCION TC,

გაყიდულია! ოდომეტრი: 183557.0(ნამდვილი) +
დაზიანება: უკანა ნაწილის დაზიანება/წინა ნაწილის დაზიანება

აუქციონის ისტორიის ნახვა

2007 TOYOTA SCION TC

2007 TOYOTA SCION TC,

გაყიდულია! ოდომეტრი: 256429.0(გათავისუფლებული) +
დაზიანება: უკანა ნაწილის დაზიანება/წინა ნაწილის დაზიანება

აუქციონის ისტორიის ნახვა

2011 TOYOTA SCION TC

2011 TOYOTA SCION TC,

გაყიდულია დამტკიცებით! ოდომეტრი: 0.0(არასწორი) +
დაზიანება: წინა ნაწილის დაზიანება/უკანა ნაწილის დაზიანება

აუქციონის ისტორიის ნახვა

შემთხვევითი აუქციონები წინა კვირიდან