მზად ხართ, რომ იპოვოთ თქვენი მანქანა?

Cars Bids History

იპოვეთ ყოველდღიური განახლებები Copart აუქციონებიდან

2008 TOYOTA SCION TC გრაფიტი, JTKDE167680263739

ავტომობილის დეტალები:

დოკუმენტის ტიპი PUBLIC - SALVAGE TITLE
ავტომობილის სტატუსი მუშაობს და მოძრაობს
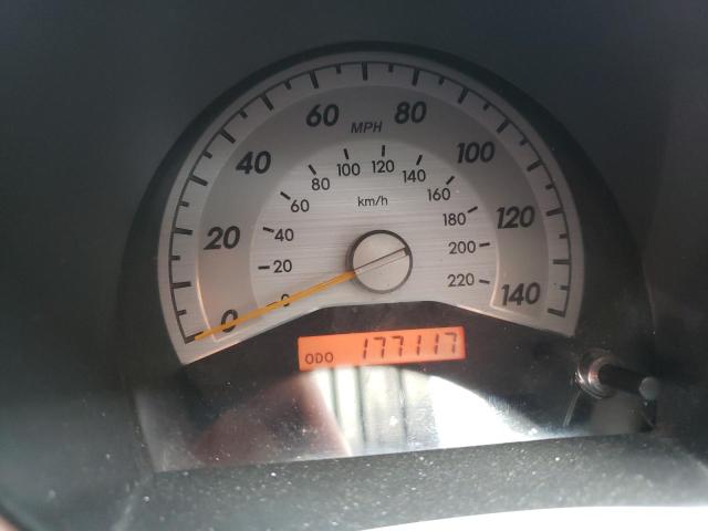
ოდომეტრი: 177117.0(გათავისუფლებული)
ძირითადი დაზიანება გვერდითი დაზიანება
მეორადი დაზიანება მონაცემები არ არის
სავარაუდო საცალო ღირებულება 4728.2
აღდგენის ღირებულება 0.0
VIN JTKDE167680263739
გამყიდველი USAA
შენიშვნები

ავტომობილის ტიპი ავტომობილი
კორპუსის ტიპი
ფერი გრაფიტი
გასაღები დიახ
წამყვანი სისტემა წინაამძრავიანი
გადაცემათა კოლოფი ავტომატური
საწვავი ბენზინი
ძრავი 2.4L 4
ცილინდრები 4
N თარიღი აუქციონი მონაწილეები აუქციონის ტიპი ბოლო ტენდერი გაყიდვის სტატუსი მყიდველის მდებარეობა
1 2022-11-10 19:00:00.0 CO - Denver / Lane - A 1100.0 გაყიდულია! COUSA


ამავე მოდელის სხვა ავტომობილები იგივე დაზიანებით

2013 TOYOTA SCION TC

2013 TOYOTA SCION TC,

გაყიდულია დამტკიცებით! ოდომეტრი: 168973.0(ნამდვილი) +
დაზიანება: ბიოლოგიური/ქიმიური დაბინძურება/გვერდითი დაზიანება

აუქციონის ისტორიის ნახვა

2008 TOYOTA SCION TC

2008 TOYOTA SCION TC,

გაყიდულია! ოდომეტრი: 198226.0(გათავისუფლებული) +
დაზიანება: გვერდითი დაზიანება/წინა ნაწილის დაზიანება

აუქციონის ისტორიის ნახვა

2015 TOYOTA SCION TC

2015 TOYOTA SCION TC,

გაყიდულია! ოდომეტრი: 0.0(არასწორი) +
დაზიანება: წინა ნაწილის დაზიანება/გვერდითი დაზიანება

აუქციონის ისტორიის ნახვა

2013 TOYOTA SCION TC

2013 TOYOTA SCION TC,

გაყიდულია დამტკიცებით! ოდომეტრი: 168973.0(ნამდვილი) +
დაზიანება: ბიოლოგიური/ქიმიური დაბინძურება/გვერდითი დაზიანება

აუქციონის ისტორიის ნახვა

2008 TOYOTA SCION TC

2008 TOYOTA SCION TC,

გაყიდულია! ოდომეტრი: 92368.0(ნამდვილი) +
დაზიანება: გვერდითი დაზიანება/მონაცემები არ არის

აუქციონის ისტორიის ნახვა

2006 TOYOTA SCION TC

2006 TOYOTA SCION TC,

გაყიდულია! ოდომეტრი: 150269.0(ნამდვილი) +
დაზიანება: გვერდითი დაზიანება/მონაცემები არ არის

აუქციონის ისტორიის ნახვა

შემთხვევითი აუქციონები წინა კვირიდან