მზად ხართ, რომ იპოვოთ თქვენი მანქანა?

Cars Bids History

იპოვეთ ყოველდღიური განახლებები Copart აუქციონებიდან

2015 TOYOTA CAMRY LE შავი, 4T1BF1FK5FU938921

ავტომობილის დეტალები:

დოკუმენტის ტიპი SALVAGE VEHICLE TITLE
ავტომობილის სტატუსი გაუმჯობესებული მანქანები
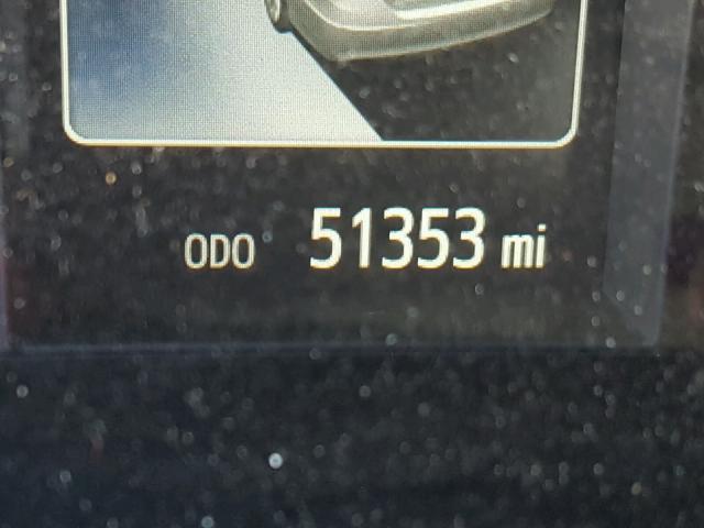
ოდომეტრი: 51353.0(ნამდვილი)
ძირითადი დაზიანება უკანა ნაწილის დაზიანება
მეორადი დაზიანება წინა ნაწილის დაზიანება
სავარაუდო საცალო ღირებულება 14121.0
აღდგენის ღირებულება 17257.79
VIN 4T1BF1FK5FU938921
გამყიდველი
შენიშვნები

ავტომობილის ტიპი ავტომობილი
კორპუსის ტიპი სედანი 4D
ფერი შავი
გასაღები არა
წამყვანი სისტემა წინაამძრავიანი
გადაცემათა კოლოფი
საწვავი ბენზინი
ძრავი 2.5L 4
ცილინდრები 4
N თარიღი აუქციონი მონაწილეები აუქციონის ტიპი ბოლო ტენდერი გაყიდვის სტატუსი მყიდველის მდებარეობა
1 2018-01-15 19:40:14.0 TX - Abilene / Lane - A 1144 3400.0 გაყიდულია! GEORGIA


ამავე მოდელის სხვა ავტომობილები იგივე დაზიანებით

2002 TOYOTA CAMRY LE

2002 TOYOTA CAMRY LE,

გაყიდულია დამტკიცებით! ოდომეტრი: 180232.0(გათავისუფლებული) +
დაზიანება: წინა ნაწილის დაზიანება/უკანა ნაწილის დაზიანება

აუქციონის ისტორიის ნახვა

2005 TOYOTA CAMRY LE

2005 TOYOTA CAMRY LE,

გაყიდულია! ოდომეტრი: 206410.0(ნამდვილი) +
დაზიანება: უკანა ნაწილის დაზიანება/მონაცემები არ არის

აუქციონის ისტორიის ნახვა

2016 TOYOTA CAMRY LE

2016 TOYOTA CAMRY LE,

გაყიდულია დამტკიცებით! ოდომეტრი: 80782.0(ნამდვილი) +
დაზიანება: უკანა ნაწილის დაზიანება/მონაცემები არ არის

აუქციონის ისტორიის ნახვა

2020 TOYOTA CAMRY LE

2020 TOYOTA CAMRY LE,

გაყიდულია! ოდომეტრი: 44191.0(ნამდვილი) +
დაზიანება: უკანა ნაწილის დაზიანება/მონაცემები არ არის

აუქციონის ისტორიის ნახვა

2021 TOYOTA CAMRY LE

2021 TOYOTA CAMRY LE,

გაყიდულია! ოდომეტრი: 48828.0(ნამდვილი) +
დაზიანება: წინა ნაწილის დაზიანება/უკანა ნაწილის დაზიანება

აუქციონის ისტორიის ნახვა

2007 TOYOTA CAMRY LE

2007 TOYOTA CAMRY LE,

გაყიდულია! ოდომეტრი: 218070.0(ნამდვილი) +
დაზიანება: უკანა ნაწილის დაზიანება/მონაცემები არ არის

აუქციონის ისტორიის ნახვა

შემთხვევითი აუქციონები წინა კვირიდან