მზად ხართ, რომ იპოვოთ თქვენი მანქანა?

Cars Bids History

იპოვეთ ყოველდღიური განახლებები Copart აუქციონებიდან

2017 VOLVO XC60 T5 DYNAMIC ლურჯი, YV440MDRXH2168016

ავტომობილის დეტალები:

დოკუმენტის ტიპი SALVAGE CERTIFICATE
ავტომობილის სტატუსი მუშაობს და მოძრაობს
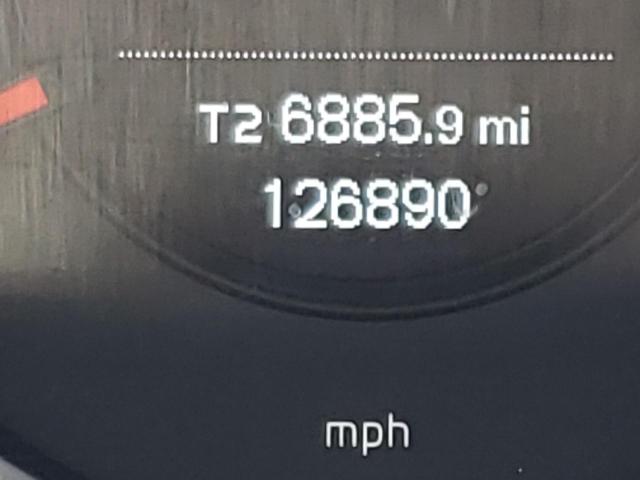
ოდომეტრი: 126890.0(ნამდვილი)
ძირითადი დაზიანება უკანა ნაწილის დაზიანება
მეორადი დაზიანება წინა ნაწილის დაზიანება
სავარაუდო საცალო ღირებულება 17934.17
აღდგენის ღირებულება 20476.75
VIN YV440MDRXH2168016
გამყიდველი
შენიშვნები

ავტომობილის ტიპი ავტომობილი
კორპუსის ტიპი
ფერი ლურჯი
გასაღები დიახ
წამყვანი სისტემა წინაამძრავიანი
გადაცემათა კოლოფი ავტომატური
საწვავი ბენზინი
ძრავი 2.0L 4
ცილინდრები 4
N თარიღი აუქციონი მონაწილეები აუქციონის ტიპი ბოლო ტენდერი გაყიდვის სტატუსი მყიდველის მდებარეობა
1 2023-12-11 15:00:00.0 FL - Jacksonville North / Lane - A 4650.0 გაყიდულია! UAUKR


ამავე მოდელის სხვა ავტომობილები იგივე დაზიანებით

2017 VOLVO XC60 T5 DYNAMIC

2017 VOLVO XC60 T5 DYNAMIC,

გაყიდულია! ოდომეტრი: 0.0(არასწორი) +
დაზიანება: უკანა ნაწილის დაზიანება/მონაცემები არ არის

აუქციონის ისტორიის ნახვა

2017 VOLVO XC60 T5 DYNAMIC

2017 VOLVO XC60 T5 DYNAMIC,

გაყიდულია დამტკიცებით! ოდომეტრი: 141025.0(ნამდვილი) +
დაზიანება: უკანა ნაწილის დაზიანება/უმნიშვნელო ბზარები/ნაკაწრები

აუქციონის ისტორიის ნახვა

შემთხვევითი აუქციონები წინა კვირიდან