მზად ხართ, რომ იპოვოთ თქვენი მანქანა?

Cars Bids History

იპოვეთ ყოველდღიური განახლებები Copart აუქციონებიდან

2013 CHEVROLET MALIBU 1LT ვერცხლისფერი, 1G11C5SA0DF125526

ავტომობილის დეტალები:

დოკუმენტის ტიპი CERTIFICATE OF TITLE
ავტომობილის სტატუსი მუშაობს და მოძრაობს
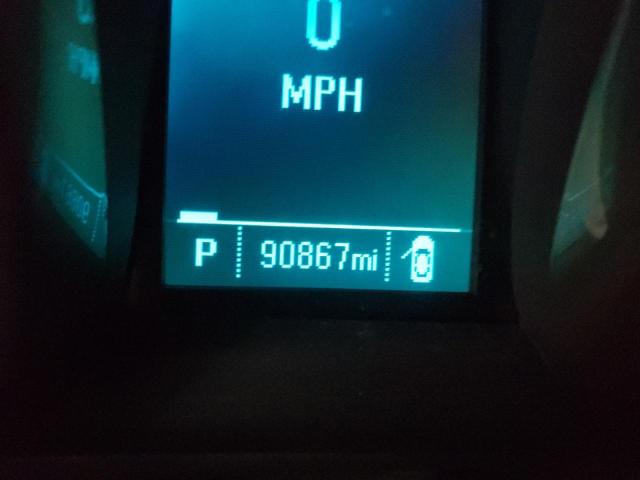
ოდომეტრი: 90867.0(ნამდვილი)
ძირითადი დაზიანება უკანა ნაწილის დაზიანება
მეორადი დაზიანება წინა ნაწილის დაზიანება
სავარაუდო საცალო ღირებულება 10472.0
აღდგენის ღირებულება 10316.15
VIN 1G11C5SA0DF125526
გამყიდველი State Farm Insurance
შენიშვნები

ავტომობილის ტიპი ავტომობილი
კორპუსის ტიპი
ფერი ვერცხლისფერი
გასაღები დიახ
წამყვანი სისტემა წინაამძრავიანი
გადაცემათა კოლოფი ავტომატური
საწვავი ბენზინი
ძრავი 2.5L 4
ცილინდრები 4
N თარიღი აუქციონი მონაწილეები აუქციონის ტიპი ბოლო ტენდერი გაყიდვის სტატუსი მყიდველის მდებარეობა
1 2022-10-05 14:00:00.0 MI - Kincheloe / Lane - A 3700.0 გაყიდულია! MIUSA


ამავე მოდელის სხვა ავტომობილები იგივე დაზიანებით

2015 CHEVROLET MALIBU 1LT

2015 CHEVROLET MALIBU 1LT,

გაყიდულია! ოდომეტრი: 193678.0(ნამდვილი) +
დაზიანება: გვერდითი დაზიანება/უკანა ნაწილის დაზიანება

აუქციონის ისტორიის ნახვა

2011 CHEVROLET MALIBU 1LT

2011 CHEVROLET MALIBU 1LT,

გაყიდულია დამტკიცებით! ოდომეტრი: 157667.0(ნამდვილი) +
დაზიანება: წინა ნაწილის დაზიანება/უკანა ნაწილის დაზიანება

აუქციონის ისტორიის ნახვა

2010 CHEVROLET MALIBU 1LT

2010 CHEVROLET MALIBU 1LT,

გაყიდულია! ოდომეტრი: 89922.0(ნამდვილი) +
დაზიანება: უკანა ნაწილის დაზიანება/წინა ნაწილის დაზიანება

აუქციონის ისტორიის ნახვა

2012 CHEVROLET MALIBU 1LT

2012 CHEVROLET MALIBU 1LT,

გაყიდულია! ოდომეტრი: 151371.0(ნამდვილი) +
დაზიანება: უკანა ნაწილის დაზიანება/მონაცემები არ არის

აუქციონის ისტორიის ნახვა

2015 CHEVROLET MALIBU 1LT

2015 CHEVROLET MALIBU 1LT,

გაყიდულია! ოდომეტრი: 186758.0(ნამდვილი) +
დაზიანება: გვერდითი დაზიანება/უკანა ნაწილის დაზიანება

აუქციონის ისტორიის ნახვა

2013 CHEVROLET MALIBU 1LT

2013 CHEVROLET MALIBU 1LT,

გაყიდულია! ოდომეტრი: 0.0(არასწორი) +
დაზიანება: წინა ნაწილის დაზიანება/უკანა ნაწილის დაზიანება

აუქციონის ისტორიის ნახვა

შემთხვევითი აუქციონები წინა კვირიდან