მზად ხართ, რომ იპოვოთ თქვენი მანქანა?

Cars Bids History

იპოვეთ ყოველდღიური განახლებები Copart აუქციონებიდან

2015 CHEVROLET MALIBU 1LT თეთრი, 1G11C5SL7FU120078

ავტომობილის დეტალები:

დოკუმენტის ტიპი SALVAGE CERTIFICATE
ავტომობილის სტატუსი ძრავის გაშვების პროგრამა
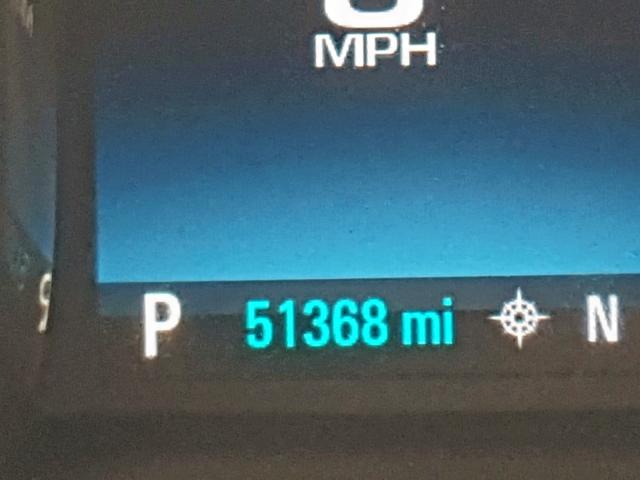
ოდომეტრი: 51368.0(ნამდვილი)
ძირითადი დაზიანება უკანა ნაწილის დაზიანება
მეორადი დაზიანება ქვედა ნაწილი
სავარაუდო საცალო ღირებულება 12496.0
აღდგენის ღირებულება 9158.68
VIN 1G11C5SL7FU120078
გამყიდველი
შენიშვნები

ავტომობილის ტიპი ავტომობილი
კორპუსის ტიპი სედანი 4D
ფერი თეთრი
გასაღები დიახ
წამყვანი სისტემა წინაამძრავიანი
გადაცემათა კოლოფი
საწვავი ბენზინი
ძრავი 2.5L 4
ცილინდრები 4
N თარიღი აუქციონი მონაწილეები აუქციონის ტიპი ბოლო ტენდერი გაყიდვის სტატუსი მყიდველის მდებარეობა
1 2019-03-28 18:39:25.0 Boston - Shirley / Lane - B 2688 3350.0 გაყიდულია! INDIANA


ამავე მოდელის სხვა ავტომობილები იგივე დაზიანებით

2009 CHEVROLET MALIBU 1LT

2009 CHEVROLET MALIBU 1LT,

გაყიდულია! ოდომეტრი: 74091.0(ნამდვილი) +
დაზიანება: უკანა ნაწილის დაზიანება/წინა ნაწილის დაზიანება

აუქციონის ისტორიის ნახვა

2012 CHEVROLET MALIBU 1LT

2012 CHEVROLET MALIBU 1LT,

გაყიდულია დამტკიცებით! ოდომეტრი: 163935.0(ნამდვილი) +
დაზიანება: უკანა ნაწილის დაზიანება/მონაცემები არ არის

აუქციონის ისტორიის ნახვა

2013 CHEVROLET MALIBU 1LT

2013 CHEVROLET MALIBU 1LT,

გაყიდულია დამტკიცებით! ოდომეტრი: 164721.0(ნამდვილი) +
დაზიანება: უკანა ნაწილის დაზიანება/უმნიშვნელო ბზარები/ნაკაწრები

აუქციონის ისტორიის ნახვა

2008 CHEVROLET MALIBU 1LT

2008 CHEVROLET MALIBU 1LT,

გაყიდულია! ოდომეტრი: 241191.0(გათავისუფლებული) +
დაზიანება: უკანა ნაწილის დაზიანება/მონაცემები არ არის

აუქციონის ისტორიის ნახვა

2015 CHEVROLET MALIBU 1LT

2015 CHEVROLET MALIBU 1LT,

გაყიდულია! ოდომეტრი: 53311.0(ნამდვილი) +
დაზიანება: უკანა ნაწილის დაზიანება/მონაცემები არ არის

აუქციონის ისტორიის ნახვა

2014 CHEVROLET MALIBU 1LT

2014 CHEVROLET MALIBU 1LT,

გაყიდულია! ოდომეტრი: 166565.0(ნამდვილი) +
დაზიანება: უკანა ნაწილის დაზიანება/წინა ნაწილის დაზიანება

აუქციონის ისტორიის ნახვა

შემთხვევითი აუქციონები წინა კვირიდან