მზად ხართ, რომ იპოვოთ თქვენი მანქანა?

Cars Bids History

იპოვეთ ყოველდღიური განახლებები Copart აუქციონებიდან

2016 CHEVROLET MALIBU LS ბურგუნდია, 1G1ZB5STXGF239125

ავტომობილის დეტალები:

დოკუმენტის ტიპი CERT OF TITLE-SALVAGE VEHICLE
ავტომობილის სტატუსი ძრავის გაშვების პროგრამა
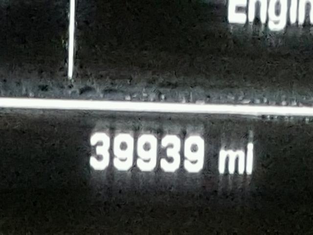
ოდომეტრი: 39939.0(ნამდვილი)
ძირითადი დაზიანება ქვედა ნაწილი
მეორადი დაზიანება მონაცემები არ არის
სავარაუდო საცალო ღირებულება 14060.0
აღდგენის ღირებულება 10695.88
VIN 1G1ZB5STXGF239125
გამყიდველი State Farm Insurance
შენიშვნები

ავტომობილის ტიპი ავტომობილი
კორპუსის ტიპი სედანი 4D
ფერი ბურგუნდია
გასაღები დიახ
წამყვანი სისტემა წინაამძრავიანი
გადაცემათა კოლოფი
საწვავი ბენზინი
ძრავი 1.5L 4
ცილინდრები 4
N თარიღი აუქციონი მონაწილეები აუქციონის ტიპი ბოლო ტენდერი გაყიდვის სტატუსი მყიდველის მდებარეობა
1 2018-03-30 14:25:37.0 South Bend / Lane - A 334 4450.0 გაყიდულია! Starting Bid


ამავე მოდელის სხვა ავტომობილები იგივე დაზიანებით

2014 CHEVROLET MALIBU LS

2014 CHEVROLET MALIBU LS,

გაყიდულია დამტკიცებით! ოდომეტრი: 210535.0(ნამდვილი) +
დაზიანება: წინა ნაწილის დაზიანება/ქვედა ნაწილი

აუქციონის ისტორიის ნახვა

2018 CHEVROLET MALIBU LS

2018 CHEVROLET MALIBU LS,

გაყიდულია! ოდომეტრი: 119203.0(ნამდვილი) +
დაზიანება: მთლიანი დაზიანება/ქვედა ნაწილი

აუქციონის ისტორიის ნახვა

2023 CHEVROLET MALIBU LS

2023 CHEVROLET MALIBU LS,

გაყიდულია დამტკიცებით! ოდომეტრი: 77429.0(ნამდვილი) +
დაზიანება: წინა ნაწილის დაზიანება/ქვედა ნაწილი

აუქციონის ისტორიის ნახვა

2017 CHEVROLET MALIBU LS

2017 CHEVROLET MALIBU LS,

გაყიდულია დამტკიცებით! ოდომეტრი: 90592.0(ნამდვილი) +
დაზიანება: მთლიანი დაზიანება/ქვედა ნაწილი

აუქციონის ისტორიის ნახვა

2013 CHEVROLET MALIBU LS

2013 CHEVROLET MALIBU LS,

გაყიდულია! ოდომეტრი: 118211.0(ნამდვილი) +
დაზიანება: ქვედა ნაწილი/მონაცემები არ არის

აუქციონის ისტორიის ნახვა

2022 CHEVROLET MALIBU LS

2022 CHEVROLET MALIBU LS,

გაყიდულია დამტკიცებით! ოდომეტრი: 59393.0(ნამდვილი) +
დაზიანება: ქვედა ნაწილი/წინა ნაწილის დაზიანება

აუქციონის ისტორიის ნახვა

შემთხვევითი აუქციონები წინა კვირიდან