Arabanızı bulmaya hazır mısınız?

Cars Bids History

Copart müzayedelerinden günlük güncellemeleri bulun

2019 BMW X3 SDRIVE30I Gümüş, 5UXTR7C55KLF28445

Araç Detayları:

Belge Türü SALVAGE VEHICLE TITLE
Araç Durumu Geliştirilmiş Araçlar
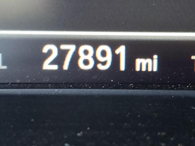
Kilometre Sayacı: 27891.0(Gerçek)
Birincil Hasar Ön Hasar
İkincil Hasar Yan Hasar
Tahmini Perakende Değeri 0.0
Onarım Maliyeti 0.0
VIN 5UXTR7C55KLF28445
Satıcı
Notlar

Araç Türü Otomobil
Gövde Tipi
Renk Gümüş
Anahtar Evet
Sürüş Tipi Arka Çekiş
Vites Kutusu
Yakıt Türü Benzin
Motor 2.0L 4
Silindirler 4
N Tarih Açık Artırma Katılımcılar Açık Artırma Türü Son Teklif Satış Durumu Alıcının Konumu
1 2023-04-03 17:00:00.0 TX - Dallas / Lane - C 7100.0 Onaylı Satıldı! PLPOL


Aynı model ve aynı hasara sahip diğer araçlar

2019 BMW X3 SDRIVE30I

2019 BMW X3 SDRIVE30I,

Onaylı Satıldı! Kilometre sayacı: 61461.0(Gerçek) +
Hasar: Ön Hasar/Yan Hasar

Müzayede geçmişini görüntüle

2019 BMW X3 SDRIVE30I

2019 BMW X3 SDRIVE30I,

Onaylı Satıldı! Kilometre sayacı: 152585.0(Gerçek) +
Hasar: Ön Hasar/Arka Hasar

Müzayede geçmişini görüntüle

2020 BMW X3 SDRIVE30I

2020 BMW X3 SDRIVE30I,

Onaylı Satıldı! Kilometre sayacı: 64957.0(Geçersiz) +
Hasar: Ön Hasar/Veri yok

Müzayede geçmişini görüntüle

2023 BMW X3 SDRIVE30I

2023 BMW X3 SDRIVE30I,

Onaylı Satıldı! Kilometre sayacı: 52955.0(Gerçek) +
Hasar: Ön Hasar/Arka Hasar

Müzayede geçmişini görüntüle

2021 BMW X3 SDRIVE30I

2021 BMW X3 SDRIVE30I,

Satıldı! Kilometre sayacı: 69737.0(Gerçek) +
Hasar: Ön Hasar/Veri yok

Müzayede geçmişini görüntüle

2022 BMW X3 SDRIVE30I

2022 BMW X3 SDRIVE30I,

Satıldı! Kilometre sayacı: 32705.0(Gerçek) +
Hasar: Ön Hasar/Veri yok

Müzayede geçmişini görüntüle

Geçen haftanın rastgele müzayede partileri