准备好找到您的汽车了吗?
查找 Copart 拍卖的每日更新
1. Lot: 0064956142
| 文件类型 | CERT OF TITLE-SALVAGE |
| 车辆状态 | 运行并驾驶 |
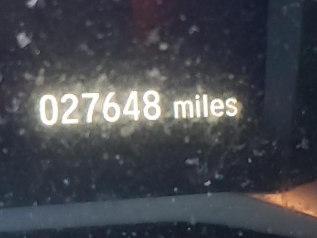
| 里程表: | 27648.0(实际) |
| 主要损坏 | 前端损坏 |
| 次要损坏 | 无数据 |
| 估计零售价 | 31672.0 |
| 修复成本 | 29735.34 |
| VIN | 5FNYF8H54MB011039 |
| 卖家 | GEICO |
| 备注 | |
|
|
|
| 车辆类型 | 汽车 |
| 车身类型 | |
| 颜色 | 白色 |
| 钥匙 | 是 |
| 驱动方式 | 全轮驱动 |
| 变速箱 | 自动 |
| 燃油 | 汽油 |
| 发动机 | 3.5L 6 |
| 气缸数 | 6 |
| N | 日期 | 拍卖 | 参与者 | 拍卖类型 | 最新出价 | 出售状态 | 买家位置 |
|---|---|---|---|---|---|---|---|
| 1 | 2022-12-06 15:00:00.0 | OH - Columbus / Lane - A | 9100.0 | 已售出! | UEARE |