准备好找到您的汽车了吗?

Cars Bids History

查找 Copart 拍卖的每日更新

2013 HONDA CIVIC EX 蓝色, 19XFB2F89DE072731

车辆详情:

文件类型 CERT OF TITLE-SALVAGE
车辆状态 运行并驾驶
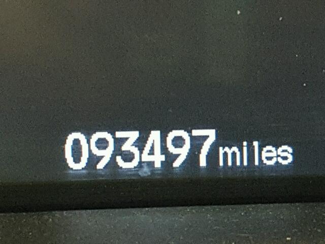
里程表: 93497.0(实际)
主要损坏 前端损坏
次要损坏 无数据
估计零售价 8439.0
修复成本 8404.0
VIN 19XFB2F89DE072731
卖家
备注

车辆类型 汽车
车身类型 四门轿车
颜色 蓝色
钥匙
驱动方式 前轮驱动
变速箱
燃油 汽油
发动机 1.8L 4
气缸数 4
N 日期 拍卖 参与者 拍卖类型 最新出价 出售状态 买家位置
1 2018-01-04 15:16:02.0 GA - Atlanta East / Lane - C 462 3000.0 已售出! HONDURAS


相同型号及相同损坏的其他车辆

2018 HONDA CIVIC EX

2018 HONDA CIVIC EX,

已售出! 里程表: 182465.0(实际) +
损坏: 前端损坏/无数据

查看拍卖历史

2012 HONDA CIVIC EX

2012 HONDA CIVIC EX,

已售出! 里程表: 0.0(不准确) +
损坏: 前端损坏/无数据

查看拍卖历史

2017 HONDA CIVIC EX

2017 HONDA CIVIC EX,

已售出! 里程表: 98908.0(实际) +
损坏: 前端损坏/后端损坏

查看拍卖历史

2002 HONDA CIVIC EX

2002 HONDA CIVIC EX,

已售出! 里程表: 243317.0(豁免) +
损坏: 前端损坏/侧面损坏

查看拍卖历史

2003 HONDA CIVIC EX

2003 HONDA CIVIC EX,

已售出! 里程表: 0.0(豁免) +
损坏: 后端损坏/前端损坏

查看拍卖历史

2012 HONDA CIVIC EX

2012 HONDA CIVIC EX,

已售出! 里程表: 134614.0(不准确) +
损坏: 前端损坏/无数据

查看拍卖历史

上周的随机拍卖批次