准备好找到您的汽车了吗?

Cars Bids History

查找 Copart 拍卖的每日更新

2012 HONDA CIVIC EXL 青色, 2HGFG3B02CH514485

车辆详情:

文件类型 SALVAGE VEHICLE TITLE
车辆状态 运行并驾驶
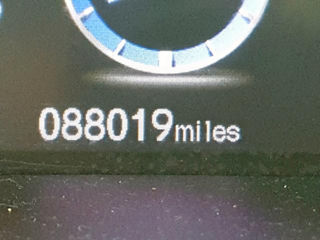
里程表: 88019.0(实际)
主要损坏 侧面损坏
次要损坏 无数据
估计零售价 8967.0
修复成本 5445.36
VIN 2HGFG3B02CH514485
卖家
备注

车辆类型 汽车
车身类型 双门轿跑
颜色 青色
钥匙
驱动方式 前轮驱动
变速箱
燃油 汽油
发动机 1.8L 4
气缸数 4
N 日期 拍卖 参与者 拍卖类型 最新出价 出售状态 买家位置
1 2019-04-04 19:01:17.0 Roanoke / Lane - A 3978 2650.0 已批准出售! TEXAS
2 2019-02-25 14:39:24.0 Charlotte / Lane - 7500.0 已售出! AMMAN-XX
3 2019-02-18 14:33:48.0 NM - Albuquerque / Lane - A 6750.0 已售出! Onsite
4 2019-01-21 14:06:42.0 Charlotte / Lane - 5200.0 已售出! Nashville-TN


相同型号及相同损坏的其他车辆

2018 HONDA CIVIC EXL

2018 HONDA CIVIC EXL,

已批准出售! 里程表: 81641.0(实际) +
损坏: 前端损坏/侧面损坏

查看拍卖历史

2017 HONDA CIVIC EXL

2017 HONDA CIVIC EXL,

已售出! 里程表: 63321.0(实际) +
损坏: 侧面损坏/后端损坏

查看拍卖历史

2014 HONDA CIVIC EXL

2014 HONDA CIVIC EXL,

已售出! 里程表: 144499.0(实际) +
损坏: 前端损坏/侧面损坏

查看拍卖历史

2022 HONDA CIVIC EXL

2022 HONDA CIVIC EXL,

已售出! 里程表: 13149.0(实际) +
损坏: 侧面损坏/无数据

查看拍卖历史

2016 HONDA CIVIC EXL

2016 HONDA CIVIC EXL,

已售出! 里程表: 98781.0(实际) +
损坏: 后端损坏/侧面损坏

查看拍卖历史

2018 HONDA CIVIC EXL

2018 HONDA CIVIC EXL,

已售出! 里程表: 74070.0(实际) +
损坏: 前端损坏/侧面损坏

查看拍卖历史

上周的随机拍卖批次