准备好找到您的汽车了吗?

Cars Bids History

查找 Copart 拍卖的每日更新

2012 HONDA CIVIC EXL 银色, 2HGFB2F98CH525346

车辆详情:

文件类型 CERT OF TITLE-SALVAGE
车辆状态 发动机启动程序
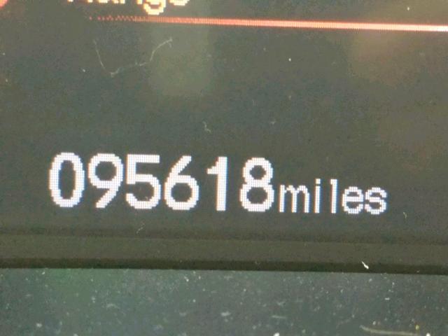
里程表: 95618.0(实际)
主要损坏 整体损坏
次要损坏 轻微凹痕/划痕
估计零售价 8791.5
修复成本 0.0
VIN 2HGFB2F98CH525346
卖家
备注

车辆类型 汽车
车身类型 四门轿车
颜色 银色
钥匙
驱动方式 前轮驱动
变速箱
燃油 汽油
发动机 1.8L 4
气缸数 4
N 日期 拍卖 参与者 拍卖类型 最新出价 出售状态 买家位置
1 2019-09-10 15:07:04.0 CT - Hartford / Lane - C 1652 1100.0 已批准出售! GUATEMALA


相同型号及相同损坏的其他车辆

2013 HONDA CIVIC EXL

2013 HONDA CIVIC EXL,

已售出! 里程表: 176362.0(实际) +
损坏: 整体损坏/底盘

查看拍卖历史

2015 HONDA CIVIC EXL

2015 HONDA CIVIC EXL,

已售出! 里程表: 0.0(不准确) +
损坏: 整体损坏/无数据

查看拍卖历史

2024 HONDA CIVIC EXL

2024 HONDA CIVIC EXL,

已售出! 里程表: 11067.0(实际) +
损坏: 整体损坏/水/洪水

查看拍卖历史

2012 HONDA CIVIC EXL

2012 HONDA CIVIC EXL,

已售出! 里程表: 0.0(不准确) +
损坏: 整体损坏/无数据

查看拍卖历史

2016 HONDA CIVIC EXL

2016 HONDA CIVIC EXL,

已批准出售! 里程表: 111475.0(实际) +
损坏: 整体损坏/无数据

查看拍卖历史

上周的随机拍卖批次