准备好找到您的汽车了吗?

Cars Bids History

查找 Copart 拍卖的每日更新

2015 HONDA CIVIC EXL 灰色, 19XFB2F93FE266439

车辆详情:

文件类型 SALVAGE TITLE CERTIFICATE
车辆状态 运行并驾驶
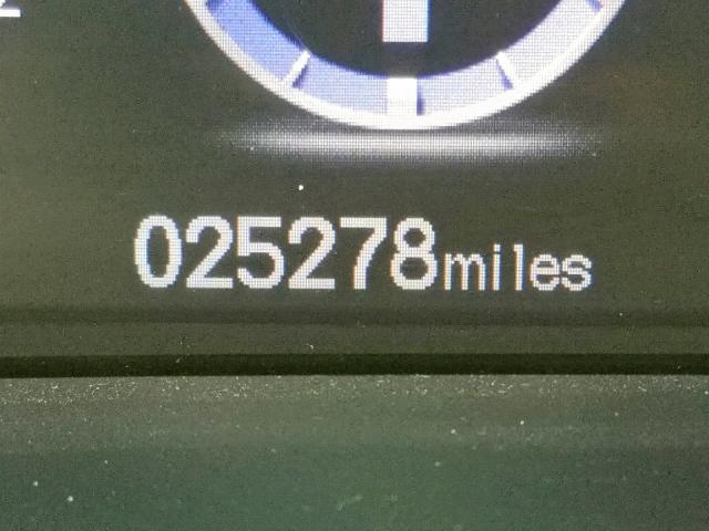
里程表: 25278.0(实际)
主要损坏 后端损坏
次要损坏 无数据
估计零售价 15678.0
修复成本 15243.76
VIN 19XFB2F93FE266439
卖家
备注

车辆类型 汽车
车身类型 四门轿车
颜色 灰色
钥匙
驱动方式 前轮驱动
变速箱
燃油 汽油
发动机 1.8L 4
气缸数 4
N 日期 拍卖 参与者 拍卖类型 最新出价 出售状态 买家位置
1 2019-11-13 21:14:52.0 TX - Lufkin / Lane - A 1762 4100.0 已售出! IDAHO


相同型号及相同损坏的其他车辆

2010 HONDA CIVIC EXL

2010 HONDA CIVIC EXL,

已售出! 里程表: 237245.0(豁免) +
损坏: 后端损坏/侧面损坏

查看拍卖历史

2017 HONDA CIVIC EXL

2017 HONDA CIVIC EXL,

已批准出售! 里程表: 84620.0(实际) +
损坏: 后端损坏/无数据

查看拍卖历史

2013 HONDA CIVIC EXL

2013 HONDA CIVIC EXL,

已批准出售! 里程表: 144955.0(实际) +
损坏: 后端损坏/侧面损坏

查看拍卖历史

2014 HONDA CIVIC EXL

2014 HONDA CIVIC EXL,

已售出! 里程表: 109347.0(实际) +
损坏: 前端损坏/后端损坏

查看拍卖历史

2017 HONDA CIVIC EXL

2017 HONDA CIVIC EXL,

已售出! 里程表: 125709.0(实际) +
损坏: 后端损坏/侧面损坏

查看拍卖历史

2008 HONDA CIVIC EXL

2008 HONDA CIVIC EXL,

已批准出售! 里程表: 218132.0(实际) +
损坏: 后端损坏/无数据

查看拍卖历史

上周的随机拍卖批次