准备好找到您的汽车了吗?

Cars Bids History

查找 Copart 拍卖的每日更新

2012 JEEP COMPASS LATITUDE 红色, 1C4NJCEB8CD554348

车辆详情:

文件类型 SALVAGE (North Carolina)
车辆状态 运行并驾驶
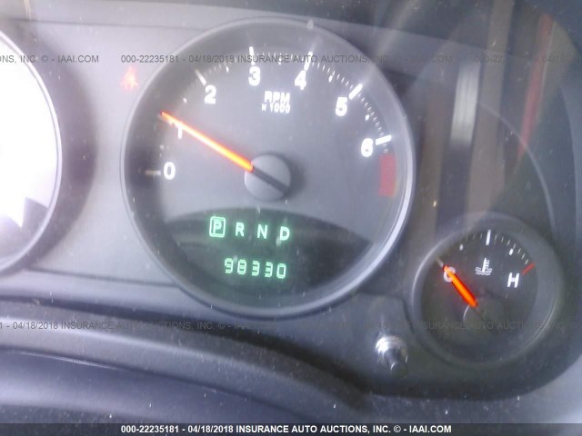
里程表: 98330.0(实际)
主要损坏 前端损坏
次要损坏 无数据
估计零售价 10876.0
修复成本 8257.0
VIN 1C4NJCEB8CD554348
卖家 Geico Insurance
备注

车辆类型 汽车
车身类型 运动型多用途车 4 门
颜色 红色
钥匙 钥匙存在
驱动方式 前轮驱动
变速箱 自动变速器
燃油 汽油
发动机 2.4L I4 FI DOHC 16V NF4
气缸数 4
N 日期 拍卖 参与者 拍卖类型 最新出价 出售状态 买家位置
1 2018-07-02 17:51:47.0 Miami-North / Lane - C 1400.0 已售出! CIUDAD VICTORIA-TAM


相同型号及相同损坏的其他车辆

2021 JEEP COMPASS LATITUDE

2021 JEEP COMPASS LATITUDE,

已售出! 里程表: 0.0(不准确) +
损坏: 前端损坏/整体损坏

查看拍卖历史

2020 JEEP COMPASS LATITUDE

2020 JEEP COMPASS LATITUDE,

已售出! 里程表: 32914.0(实际) +
损坏: 前端损坏/侧面损坏

查看拍卖历史

2014 JEEP COMPASS LATITUDE

2014 JEEP COMPASS LATITUDE,

已售出! 里程表: 116153.0(实际) +
损坏: 前端损坏/后端损坏

查看拍卖历史

2022 JEEP COMPASS LATITUDE

2022 JEEP COMPASS LATITUDE,

已售出! 里程表: 35589.0(实际) +
损坏: 前端损坏/无数据

查看拍卖历史

2014 JEEP COMPASS LATITUDE

2014 JEEP COMPASS LATITUDE,

已售出! 里程表: 107997.0(实际) +
损坏: 前端损坏/无数据

查看拍卖历史

2016 JEEP COMPASS LATITUDE

2016 JEEP COMPASS LATITUDE,

已售出! 里程表: 60210.0(实际) +
损坏: 前端损坏/无数据

查看拍卖历史

上周的随机拍卖批次