准备好找到您的汽车了吗?

Cars Bids History

查找 Copart 拍卖的每日更新

2018 LINCOLN NAVIGATOR 灰色, 5LMJJ3LT8JEL12041

车辆详情:

文件类型 SALVAGE CERTIFICATE
车辆状态 发动机启动程序
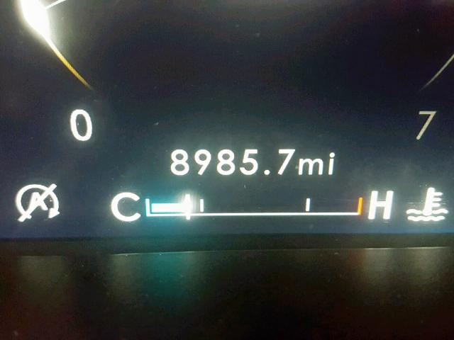
里程表: 8985.0(实际)
主要损坏 侧面损坏
次要损坏 无数据
估计零售价 83726.0
修复成本 60043.12
VIN 5LMJJ3LT8JEL12041
卖家 Farmers Insurance
备注

车辆类型 汽车
车身类型
颜色 灰色
钥匙
驱动方式 4x4后轮驱动
变速箱
燃油 汽油
发动机 3.5L 6
气缸数 6
N 日期 拍卖 参与者 拍卖类型 最新出价 出售状态 买家位置
1 2019-05-30 20:26:04.0 CA - Hayward / Lane - C 1675 32750.0 已售出! MICHIGAN


相同型号及相同损坏的其他车辆

2023 LINCOLN NAVIGATOR

2023 LINCOLN NAVIGATOR,

已批准出售! 里程表: 19572.0(实际) +
损坏: 侧面损坏/无数据

查看拍卖历史

2013 LINCOLN NAVIGATOR

2013 LINCOLN NAVIGATOR,

已售出! 里程表: 148876.0(实际) +
损坏: 前端损坏/侧面损坏

查看拍卖历史

2014 LINCOLN NAVIGATOR

2014 LINCOLN NAVIGATOR,

已售出! 里程表: 122536.0(实际) +
损坏: 侧面损坏/无数据

查看拍卖历史

2014 LINCOLN NAVIGATOR

2014 LINCOLN NAVIGATOR,

已售出! 里程表: 158088.0(实际) +
损坏: 前端损坏/侧面损坏

查看拍卖历史

2010 LINCOLN NAVIGATOR

2010 LINCOLN NAVIGATOR,

已售出! 里程表: 177335.0(实际) +
损坏: 侧面损坏/冰雹损坏

查看拍卖历史

2011 LINCOLN NAVIGATOR

2011 LINCOLN NAVIGATOR,

已售出! 里程表: 147221.0(实际) +
损坏: 前端损坏/侧面损坏

查看拍卖历史

上周的随机拍卖批次