准备好找到您的汽车了吗?
查找 Copart 拍卖的每日更新
1. Lot: 22517095
| 文件类型 | CERTIFICATE OF DESTRUCTION (Florida) |
| 车辆状态 | 无法测试启动 |
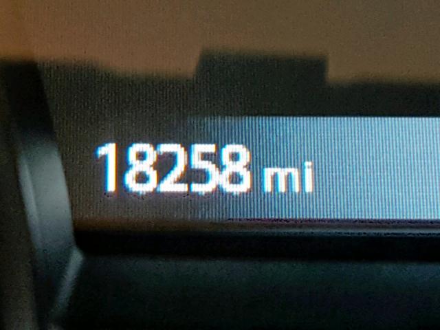
| 里程表: | 18258.0(实际) |
| 主要损坏 | 被拆除 |
| 次要损坏 | 无数据 |
| 估计零售价 | 25459.0 |
| 修复成本 | 33115.0 |
| VIN | 5N1DR2MN6HC608183 |
| 卖家 | Geico Insurance |
| 备注 | |
|
|
|
| 车辆类型 | 汽车 |
| 车身类型 | 运动型多用途车 4 门 |
| 颜色 | 银色 |
| 钥匙 | 钥匙存在 |
| 驱动方式 | 前轮驱动 |
| 变速箱 | 自动变速器 |
| 燃油 | 汽油 |
| 发动机 | 3.5L V6 FI DOHC 24V NF4 |
| 气缸数 | 6 |
| N | 日期 | 拍卖 | 参与者 | 拍卖类型 | 最新出价 | 出售状态 | 买家位置 |
|---|---|---|---|---|---|---|---|
| 1 | 2018-07-02 16:12:33.0 | Seattle / Lane - B | 2200.0 | 已售出! | Spring-TX |
2. Lot: 56743728
| 文件类型 | CERTIFICATE OF DESTRUCTION |
| 车辆状态 | 发动机启动程序 |
| 里程表: | 18258.0(实际) |
| 主要损坏 | 拆卸 |
| 次要损坏 | 无数据 |
| 估计零售价 | 0.0 |
| 修复成本 | 0.0 |
| VIN | 5N1DR2MN6HC608183 |
| 卖家 | |
| 备注 | |
|
|
|
| 车辆类型 | 汽车 |
| 车身类型 | |
| 颜色 | 银色 |
| 钥匙 | 是 |
| 驱动方式 | 前轮驱动 |
| 变速箱 | |
| 燃油 | 汽油 |
| 发动机 | 3.5L 6 |
| 气缸数 | 6 |
| N | 日期 | 拍卖 | 参与者 | 拍卖类型 | 最新出价 | 出售状态 | 买家位置 |
|---|---|---|---|---|---|---|---|
| 1 | 2019-01-29 18:10:51.0 | *NCS - Central Region / Lane - C | 318 | 2550.0 | 已批准出售! | FLORIDA | |
| 2 | 2019-01-22 19:24:29.0 | MI - Flint / Lane - D | 882 | 950.0 | 已批准出售! | Starting Bid | |
| 3 | 2019-01-08 18:19:32.0 | TN - Memphis / Lane - C | 1090 | 1000.0 | 已批准出售! | CALIFORNIA |