准备好找到您的汽车了吗?

Cars Bids History

查找 Copart 拍卖的每日更新

2017 RAM 2500 SLT 白色, 3C6UR5DL4HG712325

车辆详情:

文件类型 SALVAGE CERTIFICATE
车辆状态 运行并驾驶
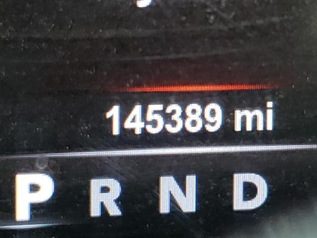
里程表: 145389.0(实际)
主要损坏 侧面损坏
次要损坏 轻微凹痕/划痕
估计零售价 39689.5
修复成本 39689.5
VIN 3C6UR5DL4HG712325
卖家
备注

车辆类型 汽车
车身类型
颜色 白色
钥匙
驱动方式 4x4后轮驱动
变速箱 自动
燃油 柴油
发动机 6.7L 6
气缸数 6
N 日期 拍卖 参与者 拍卖类型 最新出价 出售状态 买家位置
1 2023-03-06 18:00:00.0 IL - Peoria / Lane - A 11000.0 已售出! ILUSA


相同型号及相同损坏的其他车辆

2017 RAM 2500 SLT

2017 RAM 2500 SLT,

已批准出售! 里程表: 83410.0(实际) +
损坏: 侧面损坏/无数据

查看拍卖历史

2014 RAM 2500 SLT

2014 RAM 2500 SLT,

已批准出售! 里程表: 248173.0(实际) +
损坏: 前端损坏/侧面损坏

查看拍卖历史

2018 RAM 2500 SLT

2018 RAM 2500 SLT,

已售出! 里程表: 234045.0(实际) +
损坏: 前端损坏/侧面损坏

查看拍卖历史

2018 RAM 2500 SLT

2018 RAM 2500 SLT,

已批准出售! 里程表: 121561.0(实际) +
损坏: 前端损坏/侧面损坏

查看拍卖历史

2016 RAM 2500 SLT

2016 RAM 2500 SLT,

已售出! 里程表: 165583.0(实际) +
损坏: 侧面损坏/无数据

查看拍卖历史

上周的随机拍卖批次