准备好找到您的汽车了吗?
查找 Copart 拍卖的每日更新
1. Lot: 42163038
| 文件类型 | CERT OF TITLE-SALVAGE |
| 车辆状态 | 运行并驾驶 |
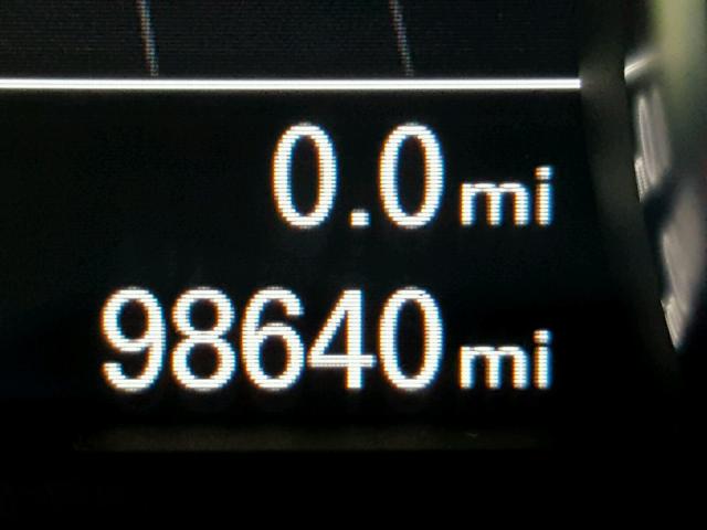
| 里程表: | 98640.0(实际) |
| 主要损坏 | 后端损坏 |
| 次要损坏 | 无数据 |
| 估计零售价 | 34205.5 |
| 修复成本 | 17044.71 |
| VIN | WAURMAFD2EN001850 |
| 卖家 | Progressive |
| 备注 | |
|
|
|
| 车辆类型 | 汽车 |
| 车身类型 | 四门轿车 |
| 颜色 | 黑色 |
| 钥匙 | 是 |
| 驱动方式 | 全轮驱动 |
| 变速箱 | |
| 燃油 | 柴油 |
| 发动机 | 3.0L 6 |
| 气缸数 | 6 |
| N | 日期 | 拍卖 | 参与者 | 拍卖类型 | 最新出价 | 出售状态 | 买家位置 |
|---|---|---|---|---|---|---|---|
| 1 | 2018-08-30 14:47:58.0 | Tampa / Lane - A | 1749 | 16300.0 | 已批准出售! | NEW JERSEY |