准备好找到您的汽车了吗?

Cars Bids History

查找 Copart 拍卖的每日更新

2017 TOYOTA PRIUS PRIM 勃艮第红, JTDKARFP2H3010683

车辆详情:

文件类型 SALVAGE CERTIFICATE
车辆状态 运行并驾驶
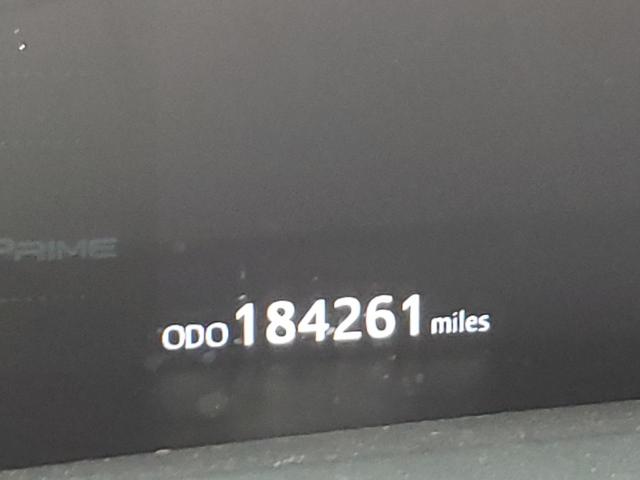
里程表: 184261.0(实际)
主要损坏 前端损坏
次要损坏 无数据
估计零售价 17842.0
修复成本 19991.2
VIN JTDKARFP2H3010683
卖家
备注

车辆类型 汽车
车身类型
颜色 勃艮第红
钥匙
驱动方式 前轮驱动
变速箱 自动
燃油 混合动力发动机
发动机 1.8L 4
气缸数 4
N 日期 拍卖 参与者 拍卖类型 最新出价 出售状态 买家位置
1 2023-03-28 19:00:00.0 CA - Rancho Cucamonga / Lane - E 5400.0 已售出! CAUSA


相同型号及相同损坏的其他车辆

2017 TOYOTA PRIUS PRIM

2017 TOYOTA PRIUS PRIM,

已售出! 里程表: 140064.0(实际) +
损坏: 前端损坏/后端损坏

查看拍卖历史

2017 TOYOTA PRIUS PRIM

2017 TOYOTA PRIUS PRIM,

已批准出售! 里程表: 90005.0(实际) +
损坏: 前端损坏/无数据

查看拍卖历史

2017 TOYOTA PRIUS PRIM

2017 TOYOTA PRIUS PRIM,

已售出! 里程表: 30349.0(不准确) +
损坏: 前端损坏/侧面损坏

查看拍卖历史

2017 TOYOTA PRIUS PRIM

2017 TOYOTA PRIUS PRIM,

已批准出售! 里程表: 24295.0(实际) +
损坏: 前端损坏/无数据

查看拍卖历史

2017 TOYOTA PRIUS PRIM

2017 TOYOTA PRIUS PRIM,

已售出! 里程表: 84607.0(实际) +
损坏: 前端损坏/侧面损坏

查看拍卖历史

2018 TOYOTA PRIUS PRIM

2018 TOYOTA PRIUS PRIM,

已售出! 里程表: 62229.0(实际) +
损坏: 前端损坏/无数据

查看拍卖历史

上周的随机拍卖批次