准备好找到您的汽车了吗?

Cars Bids History

查找 Copart 拍卖的每日更新

2017 TOYOTA PRIUS PRIM 白色, JTDKARFPXH3065866

车辆详情:

文件类型 SALVAGE CERTIFICATE
车辆状态 发动机启动程序
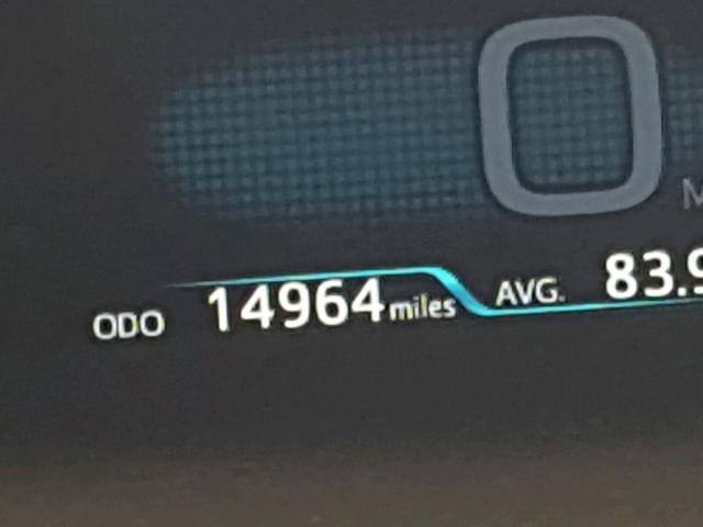
里程表: 14964.0(实际)
主要损坏 前端损坏
次要损坏 无数据
估计零售价 28401.0
修复成本 0.0
VIN JTDKARFPXH3065866
卖家 CSAA
备注 VEH LOC @ HAYWARD SUBLOT

车辆类型 汽车
车身类型 掀背车
颜色 白色
钥匙
驱动方式 前轮驱动
变速箱
燃油 混合动力发动机
发动机 1.8L 4
气缸数 4
N 日期 拍卖 参与者 拍卖类型 最新出价 出售状态 买家位置
1 2018-11-01 19:31:00.0 CA - Hayward / Lane - D 1137 10000.0 已售出! Starting Bid


相同型号及相同损坏的其他车辆

2017 TOYOTA PRIUS PRIM

2017 TOYOTA PRIUS PRIM,

已售出! 里程表: 93168.0(实际) +
损坏: 前端损坏/无数据

查看拍卖历史

2017 TOYOTA PRIUS PRIM

2017 TOYOTA PRIUS PRIM,

已批准出售! 里程表: 24295.0(实际) +
损坏: 前端损坏/无数据

查看拍卖历史

2019 TOYOTA PRIUS PRIM

2019 TOYOTA PRIUS PRIM,

已批准出售! 里程表: 73922.0(实际) +
损坏: 前端损坏/后端损坏

查看拍卖历史

2017 TOYOTA PRIUS PRIM

2017 TOYOTA PRIUS PRIM,

已售出! 里程表: 93061.0(实际) +
损坏: 前端损坏/侧面损坏

查看拍卖历史

2017 TOYOTA PRIUS PRIM

2017 TOYOTA PRIUS PRIM,

已批准出售! 里程表: 43979.0(实际) +
损坏: 前端损坏/无数据

查看拍卖历史

2017 TOYOTA PRIUS PRIM

2017 TOYOTA PRIUS PRIM,

已售出! 里程表: 76619.0(实际) +
损坏: 前端损坏/无数据

查看拍卖历史

上周的随机拍卖批次