准备好找到您的汽车了吗?

Cars Bids History

查找 Copart 拍卖的每日更新

2005 TOYOTA SCION TC 银色, JTKDE167350015914

车辆详情:

文件类型 CERT OF TITLE-SALVAGE
车辆状态 运行并驾驶
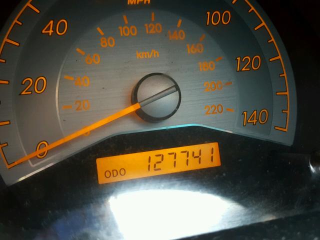
里程表: 127741.0(实际)
主要损坏 侧面损坏
次要损坏 前端损坏
估计零售价 3262.53
修复成本 2913.61
VIN JTKDE167350015914
卖家 Progressive
备注

车辆类型 汽车
车身类型 掀背车
颜色 银色
钥匙
驱动方式 前轮驱动
变速箱
燃油 汽油
发动机 2.4L 4
气缸数 4
N 日期 拍卖 参与者 拍卖类型 最新出价 出售状态 买家位置
1 2018-09-25 16:37:17.0 CT - Hartford / Lane - E 4695 550.0 已售出! CONNECTICUT


相同型号及相同损坏的其他车辆

2005 TOYOTA SCION TC

2005 TOYOTA SCION TC,

已售出! 里程表: 238707.0(豁免) +
损坏: 侧面损坏/无数据

查看拍卖历史

2008 TOYOTA SCION TC

2008 TOYOTA SCION TC,

已售出! 里程表: 111345.0(豁免) +
损坏: 前端损坏/侧面损坏

查看拍卖历史

2009 TOYOTA SCION TC

2009 TOYOTA SCION TC,

已售出! 里程表: 188470.0(豁免) +
损坏: 前端损坏/侧面损坏

查看拍卖历史

2007 TOYOTA SCION TC

2007 TOYOTA SCION TC,

已售出! 里程表: 149431.0(豁免) +
损坏: 前端损坏/侧面损坏

查看拍卖历史

2013 TOYOTA SCION TC

2013 TOYOTA SCION TC,

已批准出售! 里程表: 153922.0(实际) +
损坏: 侧面损坏/无数据

查看拍卖历史

2008 TOYOTA SCION TC

2008 TOYOTA SCION TC,

已售出! 里程表: 164537.0(豁免) +
损坏: 前端损坏/侧面损坏

查看拍卖历史

上周的随机拍卖批次