准备好找到您的汽车了吗?

Cars Bids History

查找 Copart 拍卖的每日更新

2005 TOYOTA SCION TC 黑色, JTKDE177450044823

车辆详情:

文件类型 SALVAGE CERTIFICATE
车辆状态 运行并驾驶
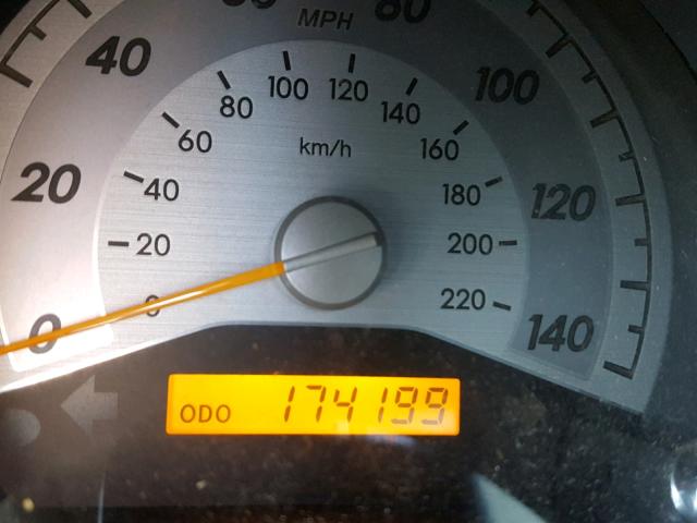
里程表: 174199.0(实际)
主要损坏 前端损坏
次要损坏 轻微凹痕/划痕
估计零售价 3475.0
修复成本 6454.89
VIN JTKDE177450044823
卖家
备注

车辆类型 汽车
车身类型
颜色 黑色
钥匙
驱动方式 前轮驱动
变速箱
燃油 汽油
发动机 2.4L 4
气缸数 4
N 日期 拍卖 参与者 拍卖类型 最新出价 出售状态 买家位置
1 2018-11-30 21:08:47.0 PA - Philadelphia / Lane - C 2944 800.0 已批准出售! MEXICO


相同型号及相同损坏的其他车辆

2008 TOYOTA SCION TC

2008 TOYOTA SCION TC,

已批准出售! 里程表: 94683.0(实际) +
损坏: 前端损坏/无数据

查看拍卖历史

2006 TOYOTA SCION TC

2006 TOYOTA SCION TC,

已售出! 里程表: 129842.0(实际) +
损坏: 前端损坏/无数据

查看拍卖历史

2007 TOYOTA SCION TC

2007 TOYOTA SCION TC,

已售出! 里程表: 0.0(豁免) +
损坏: 前端损坏/侧面损坏

查看拍卖历史

2010 TOYOTA SCION TC

2010 TOYOTA SCION TC,

已售出! 里程表: 228747.0(豁免) +
损坏: 前端损坏/无数据

查看拍卖历史

2012 TOYOTA SCION TC

2012 TOYOTA SCION TC,

已售出! 里程表: 172969.0(实际) +
损坏: 前端损坏/侧面损坏

查看拍卖历史

2015 TOYOTA SCION TC

2015 TOYOTA SCION TC,

已批准出售! 里程表: 68145.0(实际) +
损坏: 前端损坏/无数据

查看拍卖历史

上周的随机拍卖批次