准备好找到您的汽车了吗?

Cars Bids History

查找 Copart 拍卖的每日更新

2007 TOYOTA SCION TC 银色, JTKDE177770146958

1. Lot: 0059284862

车辆详情:

文件类型 CERT OF TITLE-SALVAGE
车辆状态 运行并驾驶
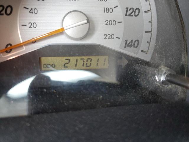
里程表: 217011.0(实际)
主要损坏 后端损坏
次要损坏 侧面损坏
估计零售价 3470.0
修复成本 4712.76
VIN JTKDE177770146958
卖家
备注

车辆类型 汽车
车身类型 掀背车
颜色 银色
钥匙
驱动方式 前轮驱动
变速箱 手动
燃油 汽油
发动机 2.4L 4
气缸数 4
N 日期 拍卖 参与者 拍卖类型 最新出价 出售状态 买家位置
1 2022-11-07 15:00:00.0 KY - Lexington East / Lane - A 525.0 已售出! KYUSA


相同型号及相同损坏的其他车辆

2013 TOYOTA SCION TC

2013 TOYOTA SCION TC,

已批准出售! 里程表: 94697.0(实际) +
损坏: 后端损坏/无数据

查看拍卖历史

2009 TOYOTA SCION TC

2009 TOYOTA SCION TC,

已批准出售! 里程表: 237478.0(实际) +
损坏: 后端损坏/无数据

查看拍卖历史

2015 TOYOTA SCION TC

2015 TOYOTA SCION TC,

已批准出售! 里程表: 245065.0(实际) +
损坏: 后端损坏/前端损坏

查看拍卖历史

2009 TOYOTA SCION TC

2009 TOYOTA SCION TC,

已售出! 里程表: 135604.0(豁免) +
损坏: 后端损坏/轻微凹痕/划痕

查看拍卖历史

2015 TOYOTA SCION TC

2015 TOYOTA SCION TC,

已售出! 里程表: 155712.0(不准确) +
损坏: 后端损坏/前端损坏

查看拍卖历史

2005 TOYOTA SCION TC

2005 TOYOTA SCION TC,

已售出! 里程表: 252995.0(豁免) +
损坏: 后端损坏/无数据

查看拍卖历史

上周的随机拍卖批次