准备好找到您的汽车了吗?

Cars Bids History

查找 Copart 拍卖的每日更新

2007 TOYOTA SCION TC 灰色, JTKDE177870191794

车辆详情:

文件类型 SALVAGE CERTIFICATE OF TITLE
车辆状态 运行并驾驶
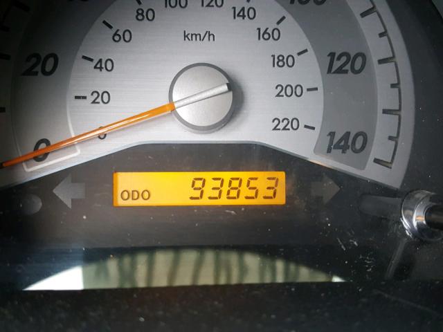
里程表: 93853.0(实际)
主要损坏 前端损坏
次要损坏 侧面损坏
估计零售价 5530.0
修复成本 3789.39
VIN JTKDE177870191794
卖家
备注

车辆类型 汽车
车身类型 掀背车
颜色 灰色
钥匙
驱动方式 前轮驱动
变速箱
燃油 汽油
发动机 2.4L 4
气缸数 4
N 日期 拍卖 参与者 拍卖类型 最新出价 出售状态 买家位置
1 2018-11-16 18:50:20.0 MO - St. Louis / Lane - B 1820 700.0 已批准出售! MISSOURI
2 2018-11-09 19:04:53.0 MO - St. Louis / Lane - B 2118 800.0 已批准出售! TENNESSEE


相同型号及相同损坏的其他车辆

2014 TOYOTA SCION TC

2014 TOYOTA SCION TC,

已批准出售! 里程表: 227688.0(不准确) +
损坏: 前端损坏/后端损坏

查看拍卖历史

2014 TOYOTA SCION TC

2014 TOYOTA SCION TC,

已批准出售! 里程表: 149625.0(实际) +
损坏: 后端损坏/前端损坏

查看拍卖历史

2015 TOYOTA SCION TC

2015 TOYOTA SCION TC,

已批准出售! 里程表: 84248.0(不准确) +
损坏: 前端损坏/侧面损坏

查看拍卖历史

2013 TOYOTA SCION TC

2013 TOYOTA SCION TC,

已批准出售! 里程表: 0.0(不准确) +
损坏: 前端损坏/无数据

查看拍卖历史

2013 TOYOTA SCION TC

2013 TOYOTA SCION TC,

已批准出售! 里程表: 149023.0(实际) +
损坏: 后端损坏/前端损坏

查看拍卖历史

2008 TOYOTA SCION TC

2008 TOYOTA SCION TC,

已售出! 里程表: 251334.0(豁免) +
损坏: 前端损坏/侧面损坏

查看拍卖历史

上周的随机拍卖批次