准备好找到您的汽车了吗?

Cars Bids History

查找 Copart 拍卖的每日更新

2010 TOYOTA SCION TC 黑色, JTKDE3B70A0305975

车辆详情:

文件类型 SALVAGE VEHICLE TITLE
车辆状态 运行并驾驶
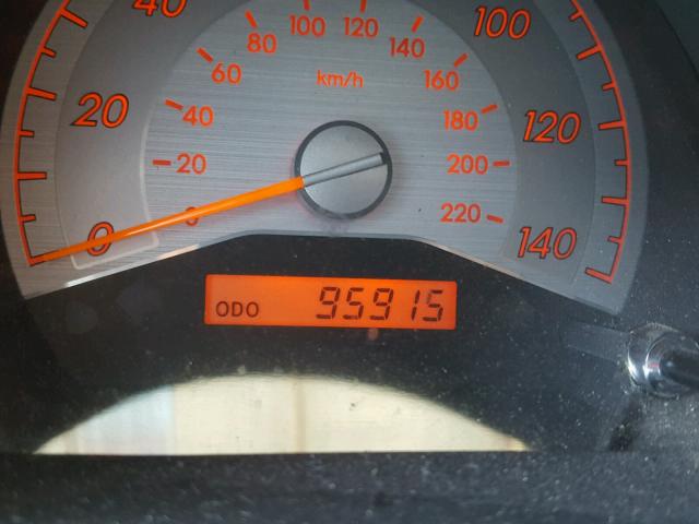
里程表: 95915.0(实际)
主要损坏 后端损坏
次要损坏 轻微凹痕/划痕
估计零售价 6715.0
修复成本 5452.0
VIN JTKDE3B70A0305975
卖家
备注

车辆类型 汽车
车身类型
颜色 黑色
钥匙
驱动方式 前轮驱动
变速箱
燃油 汽油
发动机 2.4L 4
气缸数 4
N 日期 拍卖 参与者 拍卖类型 最新出价 出售状态 买家位置
1 2018-01-18 18:22:43.0 CA - Rancho Cucamonga / Lane - A 617 900.0 已批准出售! TEXAS


相同型号及相同损坏的其他车辆

2006 TOYOTA SCION TC

2006 TOYOTA SCION TC,

已批准出售! 里程表: 197977.0(豁免) +
损坏: 侧面损坏/后端损坏

查看拍卖历史

2014 TOYOTA SCION TC

2014 TOYOTA SCION TC,

已售出! 里程表: 57027.0(实际) +
损坏: 侧面损坏/后端损坏

查看拍卖历史

2010 TOYOTA SCION TC

2010 TOYOTA SCION TC,

已售出! 里程表: 119086.0(实际) +
损坏: 前端损坏/后端损坏

查看拍卖历史

2005 TOYOTA SCION TC

2005 TOYOTA SCION TC,

已批准出售! 里程表: 175920.0(实际) +
损坏: 前端损坏/后端损坏

查看拍卖历史

2006 TOYOTA SCION TC

2006 TOYOTA SCION TC,

已售出! 里程表: 303462.0(实际) +
损坏: 侧面损坏/后端损坏

查看拍卖历史

上周的随机拍卖批次