准备好找到您的汽车了吗?

Cars Bids History

查找 Copart 拍卖的每日更新

2010 TOYOTA SCION TC 白色, JTKDE3B7XA0317888

车辆详情:

文件类型 NON-REPAIRABLE VEHICLE CERT
车辆状态 运行并驾驶
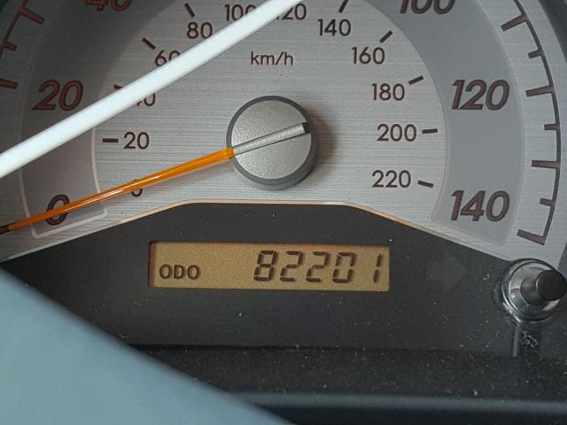
里程表: 82201.0(不准确)
主要损坏 前端损坏
次要损坏 侧面损坏
估计零售价 8582.06
修复成本 0.0
VIN JTKDE3B7XA0317888
卖家
备注 VEH LOCATED @ CLAYTON SUBLOT

车辆类型 汽车
车身类型 掀背车
颜色 白色
钥匙
驱动方式 前轮驱动
变速箱
燃油 汽油
发动机 2.4L 4
气缸数 4
N 日期 拍卖 参与者 拍卖类型 最新出价 出售状态 买家位置
1 2018-12-20 20:08:24.0 NV - Las Vegas / Lane - B 850 400.0 已批准出售! Starting Bid
2 2018-12-13 20:09:53.0 NV - Las Vegas / Lane - D 627 500.0 已批准出售! Starting Bid


相同型号及相同损坏的其他车辆

2014 TOYOTA SCION TC

2014 TOYOTA SCION TC,

已批准出售! 里程表: 155336.0(实际) +
损坏: 前端损坏/后端损坏

查看拍卖历史

2016 TOYOTA SCION TC

2016 TOYOTA SCION TC,

已批准出售! 里程表: 124090.0(实际) +
损坏: 前端损坏/无数据

查看拍卖历史

2016 TOYOTA SCION TC

2016 TOYOTA SCION TC,

已售出! 里程表: 109147.0(实际) +
损坏: 前端损坏/无数据

查看拍卖历史

2014 TOYOTA SCION TC

2014 TOYOTA SCION TC,

已售出! 里程表: 151820.0(实际) +
损坏: 前端损坏/轻微凹痕/划痕

查看拍卖历史

2008 TOYOTA SCION TC

2008 TOYOTA SCION TC,

已批准出售! 里程表: 94683.0(实际) +
损坏: 前端损坏/无数据

查看拍卖历史

2008 TOYOTA SCION TC

2008 TOYOTA SCION TC,

已售出! 里程表: 171584.0(豁免) +
损坏: 前端损坏/后端损坏

查看拍卖历史

上周的随机拍卖批次