准备好找到您的汽车了吗?

Cars Bids History

查找 Copart 拍卖的每日更新

2004 VOLKSWAGEN PASSAT GLX 银色, WVWWH63B44E137440

车辆详情:

文件类型 SALVAGE VEHICLE TITLE
车辆状态 增强型车辆
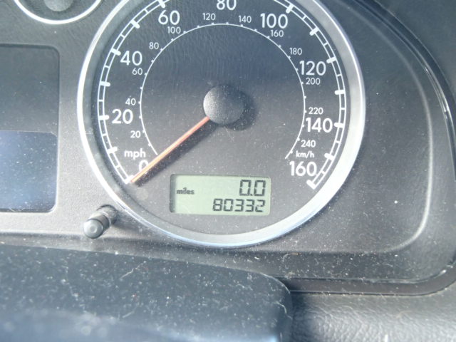
里程表: 0.0(豁免)
主要损坏 前端损坏
次要损坏 无数据
估计零售价 5988.0
修复成本 5912.0
VIN WVWWH63B44E137440
卖家
备注

车辆类型 汽车
车身类型 旅行车
颜色 银色
钥匙
驱动方式 前轮驱动
变速箱
燃油 汽油
发动机 2.8L 6
气缸数 6
N 日期 拍卖 参与者 拍卖类型 最新出价 出售状态 买家位置
1 2019-03-11 19:16:58.0 *NCS - Pacific Region / Lane - F 3731 425.0 已售出! Starting Bid


相同型号及相同损坏的其他车辆

2000 VOLKSWAGEN PASSAT GLX

2000 VOLKSWAGEN PASSAT GLX,

已批准出售! 里程表: 121435.0(豁免) +
损坏: 前端损坏/侧面损坏

查看拍卖历史

2000 VOLKSWAGEN PASSAT GLX

2000 VOLKSWAGEN PASSAT GLX,

已批准出售! 里程表: 121435.0(豁免) +
损坏: 前端损坏/侧面损坏

查看拍卖历史

2000 VOLKSWAGEN PASSAT GLX

2000 VOLKSWAGEN PASSAT GLX,

已批准出售! 里程表: 121435.0(豁免) +
损坏: 前端损坏/侧面损坏

查看拍卖历史

2000 VOLKSWAGEN PASSAT GLX

2000 VOLKSWAGEN PASSAT GLX,

已售出! 里程表: 157919.0(豁免) +
损坏: 前端损坏/无数据

查看拍卖历史

上周的随机拍卖批次