准备好找到您的汽车了吗?

Cars Bids History

查找 Copart 拍卖的每日更新

2015 BUICK REGAL 灰色, 2G4GK5EX5F9180808

车辆详情:

文件类型 CERT OF TITLE-SALVAGE
车辆状态 运行并驾驶
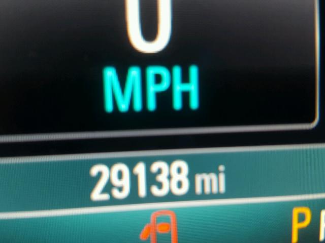
里程表: 29138.0(实际)
主要损坏 前端损坏
次要损坏 无数据
估计零售价 16699.0
修复成本 11900.0
VIN 2G4GK5EX5F9180808
卖家
备注

车辆类型 汽车
车身类型 四门轿车
颜色 灰色
钥匙
驱动方式 前轮驱动
变速箱
燃油 汽油
发动机 2.0L 4
气缸数 4
N 日期 拍卖 参与者 拍卖类型 最新出价 出售状态 买家位置
1 2018-10-22 17:38:15.0 NH - Candia / Lane - C 1438 5800.0 已批准出售! MISSOURI


相同型号及相同损坏的其他车辆

2016 BUICK REGAL

2016 BUICK REGAL,

已批准出售! 里程表: 117444.0(实际) +
损坏: 后端损坏/前端损坏

查看拍卖历史

2016 BUICK REGAL

2016 BUICK REGAL,

已售出! 里程表: 73469.0(实际) +
损坏: 前端损坏/底盘

查看拍卖历史

2014 BUICK REGAL

2014 BUICK REGAL,

已售出! 里程表: 110206.0(不准确) +
损坏: 前端损坏/无数据

查看拍卖历史

2015 BUICK REGAL

2015 BUICK REGAL,

已批准出售! 里程表: 113200.0(实际) +
损坏: 前端损坏/无数据

查看拍卖历史

2016 BUICK REGAL

2016 BUICK REGAL,

已售出! 里程表: 0.0(不准确) +
损坏: 前端损坏/无数据

查看拍卖历史

2016 BUICK REGAL

2016 BUICK REGAL,

已售出! 里程表: 143938.0(实际) +
损坏: 前端损坏/无数据

查看拍卖历史

上周的随机拍卖批次